_M_G_CMNC_41km_S_Santa_Marta_Magd_Colombia_SS.jpg)
Specimen Type: holotype Sex: f Institution: CMN Canadian Museum of Nature, Ottawa Photographer: Antonio Santos-Silva Collection Location: 41 km S Santa Marta, Magdalena, Colombia 60492
|
_M_G_CMNC_41km_S_Santa_Marta_Magd_Colombia_SS.jpg)
Specimen Type: holotype Sex: f Institution: CMN Canadian Museum of Nature, Ottawa Photographer: Antonio Santos-Silva Collection Location: 41 km S Santa Marta, Magdalena, Colombia 60493
|
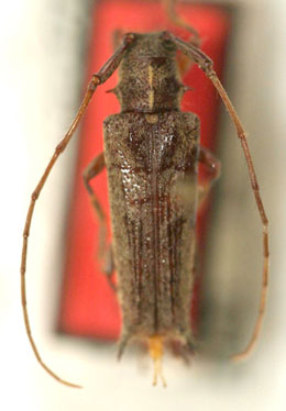
_Martins_and_Galileo_MZSP_SWL.jpg)
Specimen Type: holotype Sex: f Institution: CMN Canadian Museum of Nature, Ottawa Photographer: Steve Lingafelter Collection Location: 41 km S Santa Marta, Magdalena, Colombia 5031
|
|