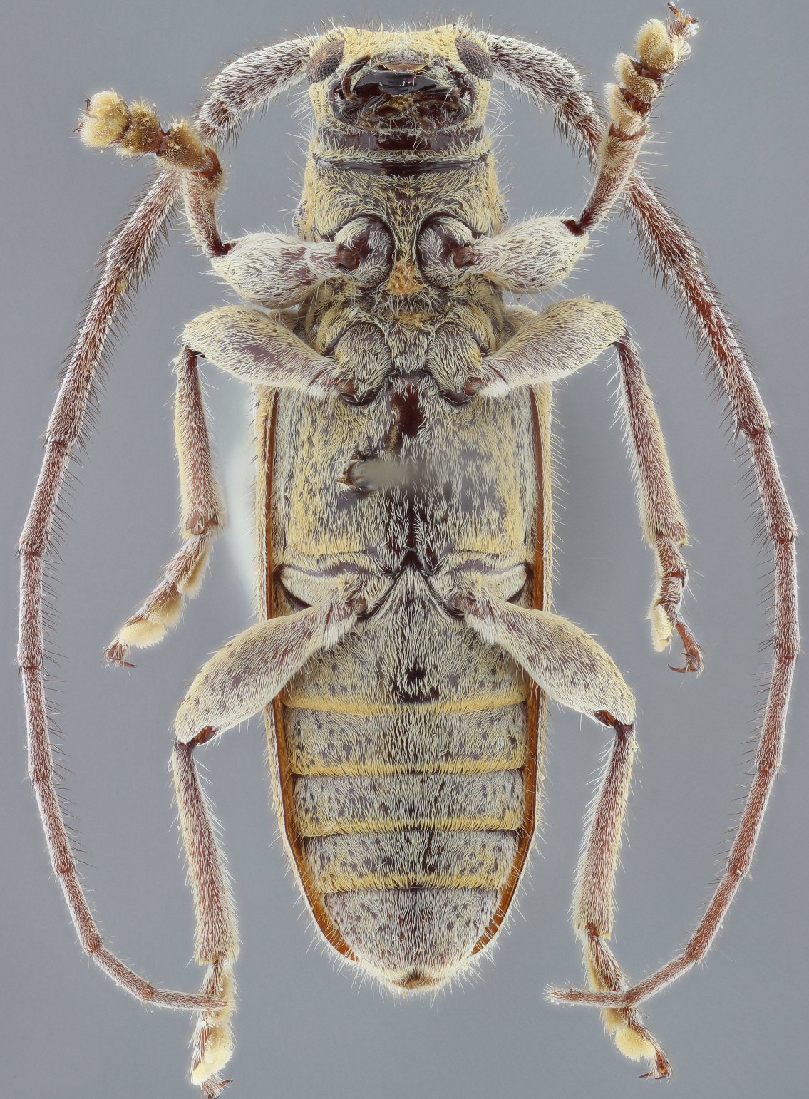
 Bates BMNH Mirador, Veracruz, Mexico now Eupogon Moure.jpg)
Atelodesmis piperita Bates Specimen Type: lectotype Sex: m Institution: BMNH British Museum Natural History, London, UK Photographer: JS Moure Collection Location: Mirador, Veracruz, Mexico 95378
|
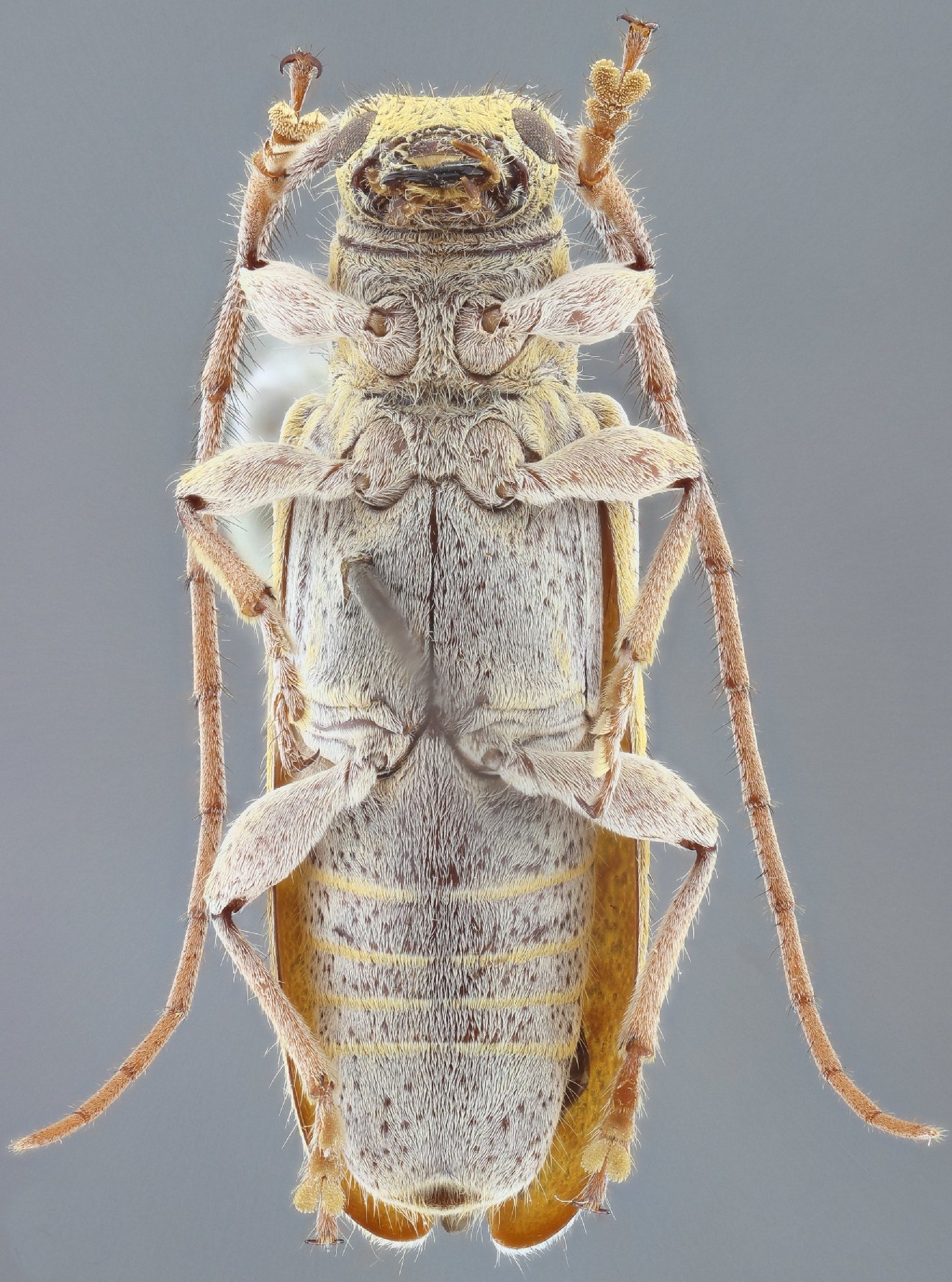
_(m)_Bates_BMNH_JAC.jpg)
Atelodesmis piperita Bates Specimen Type: lectotype Sex: m Institution: BMNH British Museum Natural History, London, UK Photographer: John Chemsak 15348
|
_SS.jpg)
Sex: m Photographer: Antonio Santos-Silva 63869
|
_SS.jpg)
Sex: m Photographer: Antonio Santos-Silva 63870
|
_SS.jpg)
Sex: m Photographer: Antonio Santos-Silva 63871
|
_SS.jpg)
Sex: m Photographer: Antonio Santos-Silva 63872
|
_SS.jpg)
Sex: f Photographer: Antonio Santos-Silva 63873
|
_SS.jpg)
Sex: f Photographer: Antonio Santos-Silva 63874
|
_SS.jpg)
Sex: f Photographer: Antonio Santos-Silva 63875
|
_SS.jpg)
Sex: f Photographer: Antonio Santos-Silva 63876
|

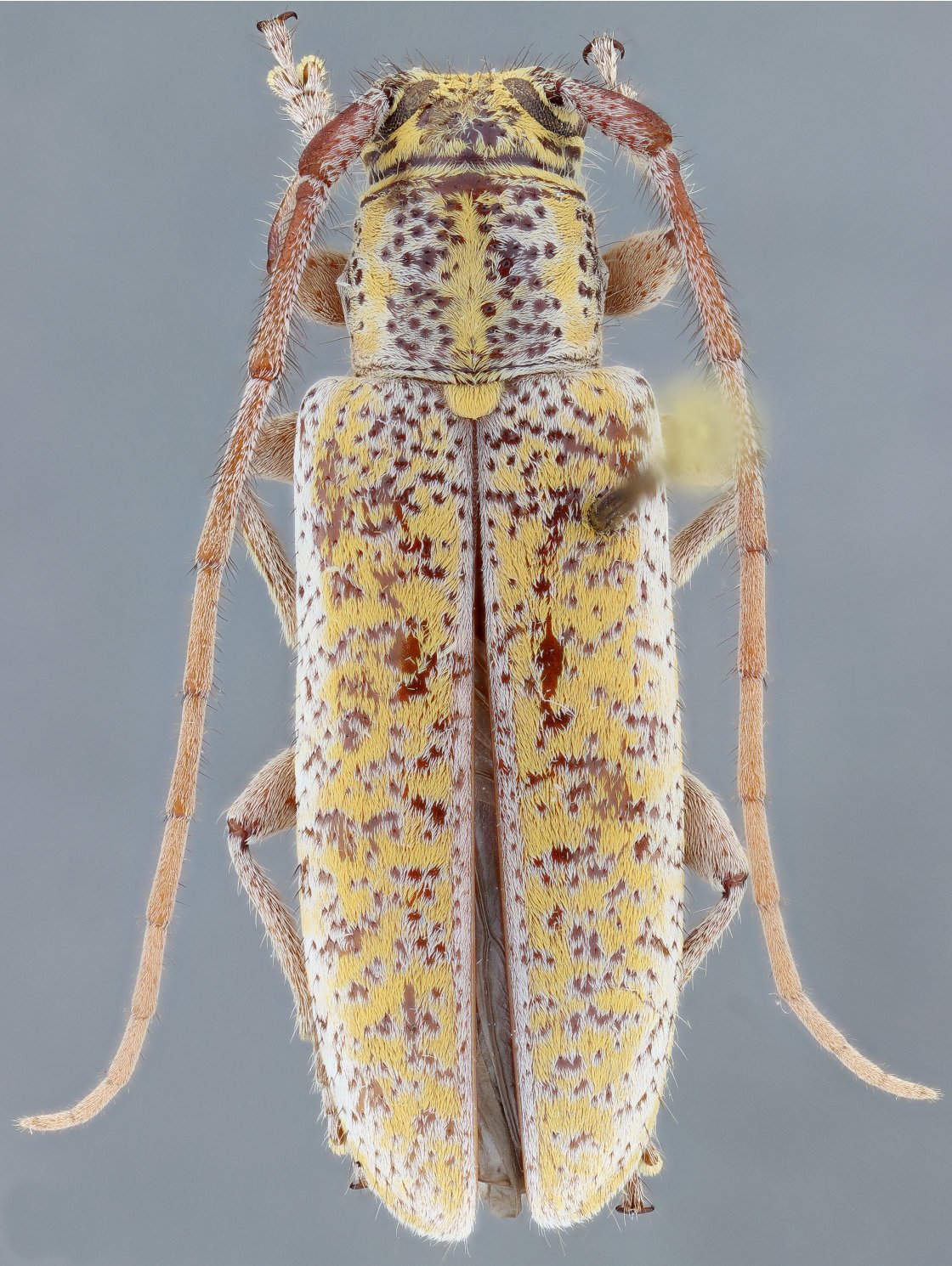
Institution: FTH Frank T. Hovore collection (now at California Academy of Sciences) Photographer: Larry G. Bezark Collection Location: 22km W Tuxtla Gutierrez, Chiapas, Mexico 27254
|