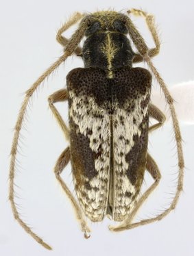
_M_G_MZSP_Santa Cruz_SC_Bolivia_SS.jpg)
Specimen Type: holotype Sex: f Institution: MZSP Museu de Zoologia da Universidade de São Paulo, Brazil Photographer: Antonio Santos-Silva Collection Location: Santa Cruz, Santa Cruz, Bolivia 68242
|
_M_G_MZSP_Santa Cruz_SC_Bolivia_SS.jpg)
Specimen Type: holotype Sex: f Institution: MZSP Museu de Zoologia da Universidade de São Paulo, Brazil Photographer: Antonio Santos-Silva Collection Location: Santa Cruz, Santa Cruz, Bolivia 68243
|
_M_G_MZSP_Santa Cruz_SC_Bolivia_SS.jpg)
Specimen Type: holotype Sex: f Institution: MZSP Museu de Zoologia da Universidade de São Paulo, Brazil Photographer: Antonio Santos-Silva Collection Location: Santa Cruz, Santa Cruz, Bolivia 68244
|
_M_G_MZSP_Santa Cruz_SC_Bolivia_SS.jpg)
Specimen Type: holotype Sex: f Institution: MZSP Museu de Zoologia da Universidade de São Paulo, Brazil Photographer: Antonio Santos-Silva Collection Location: Santa Cruz, Santa Cruz, Bolivia 68245
|
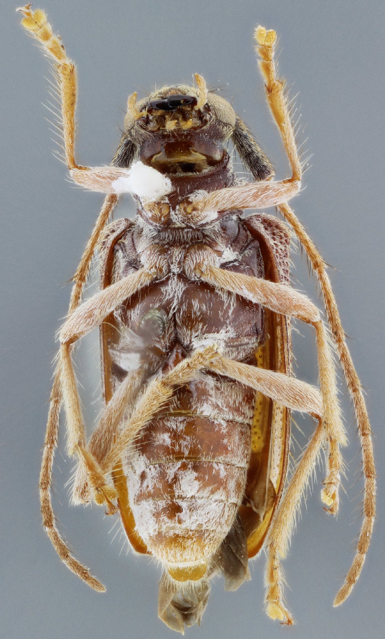
_Martins_and_Galileo_MZSP_SWL.jpg)
Specimen Type: holotype Sex: f Institution: MZSP Museu de Zoologia da Universidade de São Paulo, Brazil Photographer: Steve Lingafelter Collection Location: Santa Cruz, Santa Cruz, Bolivia 12196
|

Photographer: Jim Wappes Collection Location: Bolivia 12197
|

Photographer: Alicia M. Hodson 42431
|
|