_G_M_MZSP_Tres_Lagoas_MatoGrossoSul_Braz_SS.jpg)
Specimen Type: holotype Sex: m Institution: MZSP Museu de Zoologia da Universidade de São Paulo, Brazil Photographer: Antonio Santos-Silva Collection Location: Tres Lagoas, Mato Grosso do Sul, Brazil 62270
|
 M G MZSP Tres Lagoas, Mato Grosso do Sul, Brazil SS.jpg)
Specimen Type: holotype Sex: m Institution: MZSP Museu de Zoologia da Universidade de São Paulo, Brazil Photographer: Antonio Santos-Silva Collection Location: Tres Lagoas, Mato Grosso do Sul, Brazil 90492
|
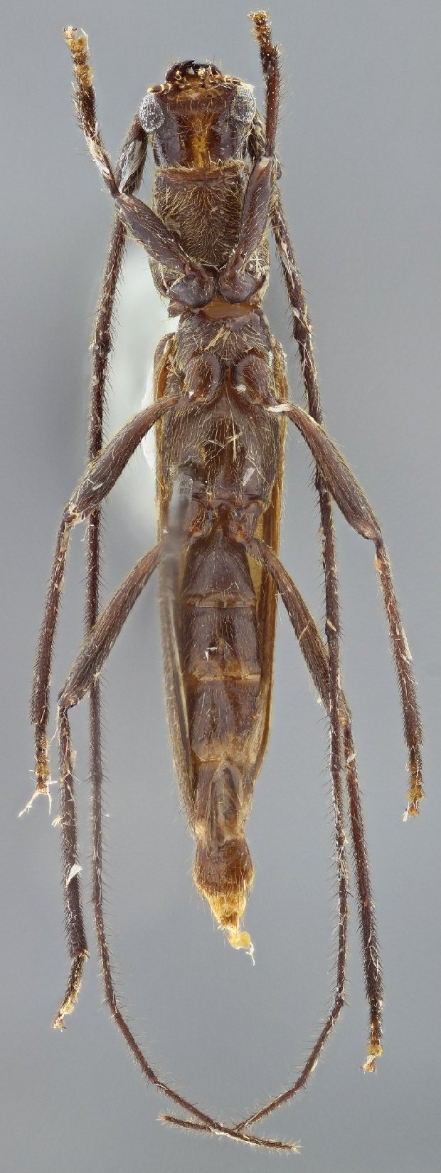
_G_M_MZSP_Tres_Lagoas_MatoGrossoSul_Braz_SS - Copy.jpg)
Specimen Type: holotype Sex: m Institution: MZSP Museu de Zoologia da Universidade de São Paulo, Brazil Photographer: Antonio Santos-Silva Collection Location: Tres Lagoas, Mato Grosso do Sul, Brazil 62271
|
_G_M_MZSP_Tres_Lagoas_MatoGrossoSul_Braz_SS.jpg)
Specimen Type: holotype Sex: m Institution: MZSP Museu de Zoologia da Universidade de São Paulo, Brazil Photographer: Antonio Santos-Silva Collection Location: Tres Lagoas, Mato Grosso do Sul, Brazil 62272
|

Institution: LGBC Larry G. Bezark Collection, Sacramento, California, USA Photographer: Larry G. Bezark Collection Location: Chacurru Ecotourism, Amambay, Paraguay 72202
|
|