_Marinoni_Morrillo_Salta_Argentina_Monne.jpg)
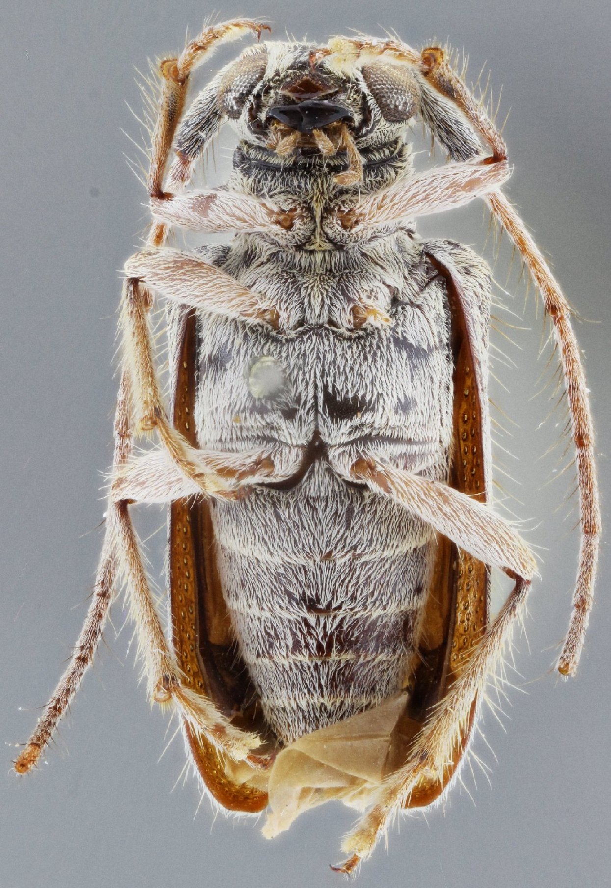
Specimen Type: holotype Sex: f Institution: DZUP Univ Federal do Paraná, Museu de Ent Pe. Jesus Santiago, Moure, Curitiba, Paraná, Brazil Photographer: Monne Collection Location: Morrillo, Salta, Argentina 57442
|
_Marinoni_MZSP_Morillo_Salta_Arg_SS.jpg)
Specimen Type: paratype Sex: f Institution: MZSP Museu de Zoologia da Universidade de São Paulo, Brazil Photographer: Antonio Santos-Silva Collection Location: Morrillo, Salta, Argentina 68246
|
_Marinoni_MZSP_Morillo_Salta_Arg_SS.jpg)
Specimen Type: paratype Sex: f Institution: MZSP Museu de Zoologia da Universidade de São Paulo, Brazil Photographer: Antonio Santos-Silva Collection Location: Morrillo, Salta, Argentina 68248
|
_Marinoni_MZSP_Morillo_Salta_Arg_SS.jpg)
Specimen Type: paratype Sex: f Institution: MZSP Museu de Zoologia da Universidade de São Paulo, Brazil Photographer: Antonio Santos-Silva Collection Location: Morrillo, Salta, Argentina 68247
|
_Marinoni_MZSP_Morillo_Salta_Arg_SS.jpg)
Specimen Type: paratype Sex: f Institution: MZSP Museu de Zoologia da Universidade de São Paulo, Brazil Photographer: Antonio Santos-Silva Collection Location: Morrillo, Salta, Argentina 68249
|
_Marinoni_MZSP_SWL.jpg)
Specimen Type: paratype Sex: f Institution: MZSP Museu de Zoologia da Universidade de São Paulo, Brazil Photographer: Steve Lingafelter Collection Location: Morrillo, Salta, Argentina 12194
|

Photographer: Jim Wappes Collection Location: Bolivia 42430
|

Photographer: Ole Mehl Collection Location: Department Boqueron, Paraguay 37028
|
|