 Mart INPA Reserva Ducke, Amazonas, Brazil SS.jpg)
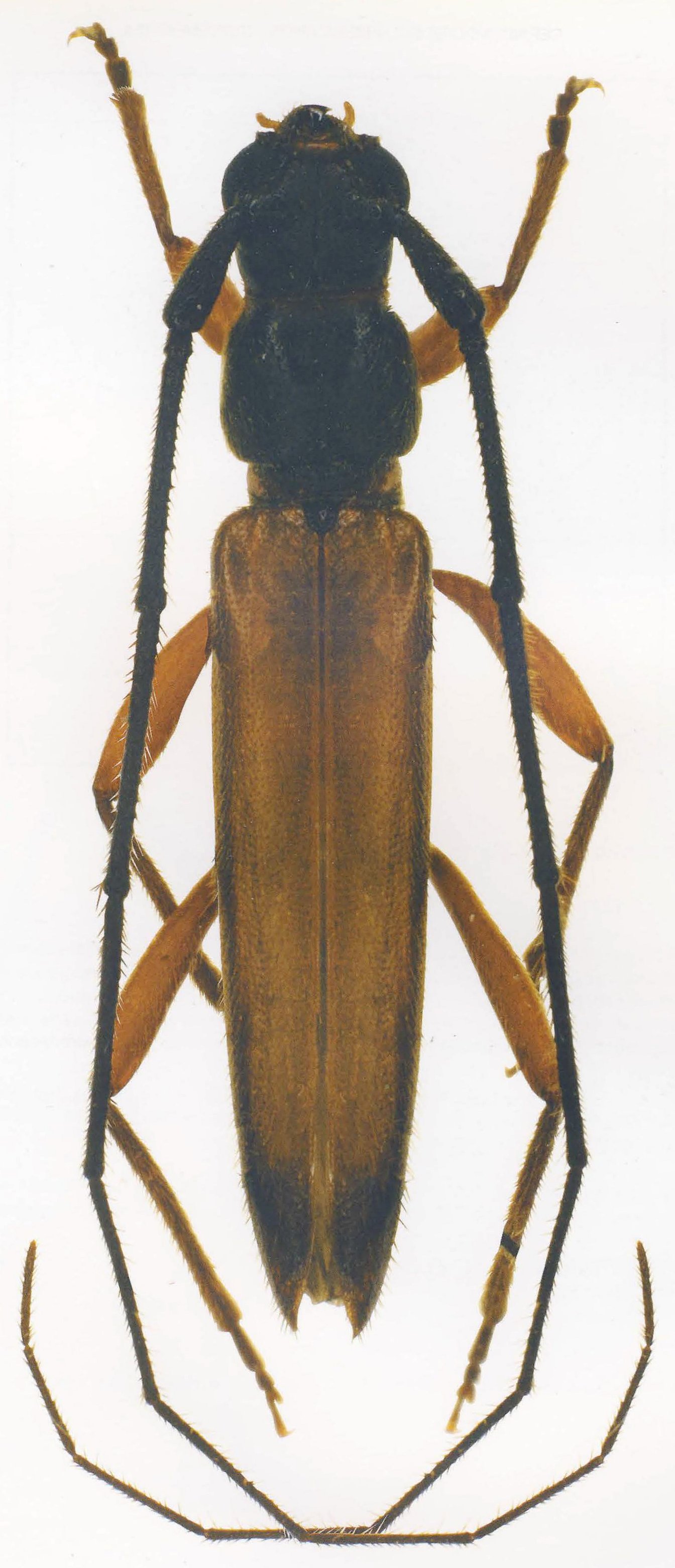
Specimen Type: holotype Sex: m Institution: INPA Instituto Nacional de Pesquisas da Amazonia, Manaus, Brazil Photographer: Antonio Santos-Silva Collection Location: Reserva Ducke, Manaus, Amazonas, Brazil 57421
|
 Mart INPA Reserva Ducke, Amazonas, Brazil SS.jpg)
Specimen Type: holotype Sex: m Institution: INPA Instituto Nacional de Pesquisas da Amazonia, Manaus, Brazil Photographer: Antonio Santos-Silva Collection Location: Reserva Ducke, Amazonas, Brazil 90491
|