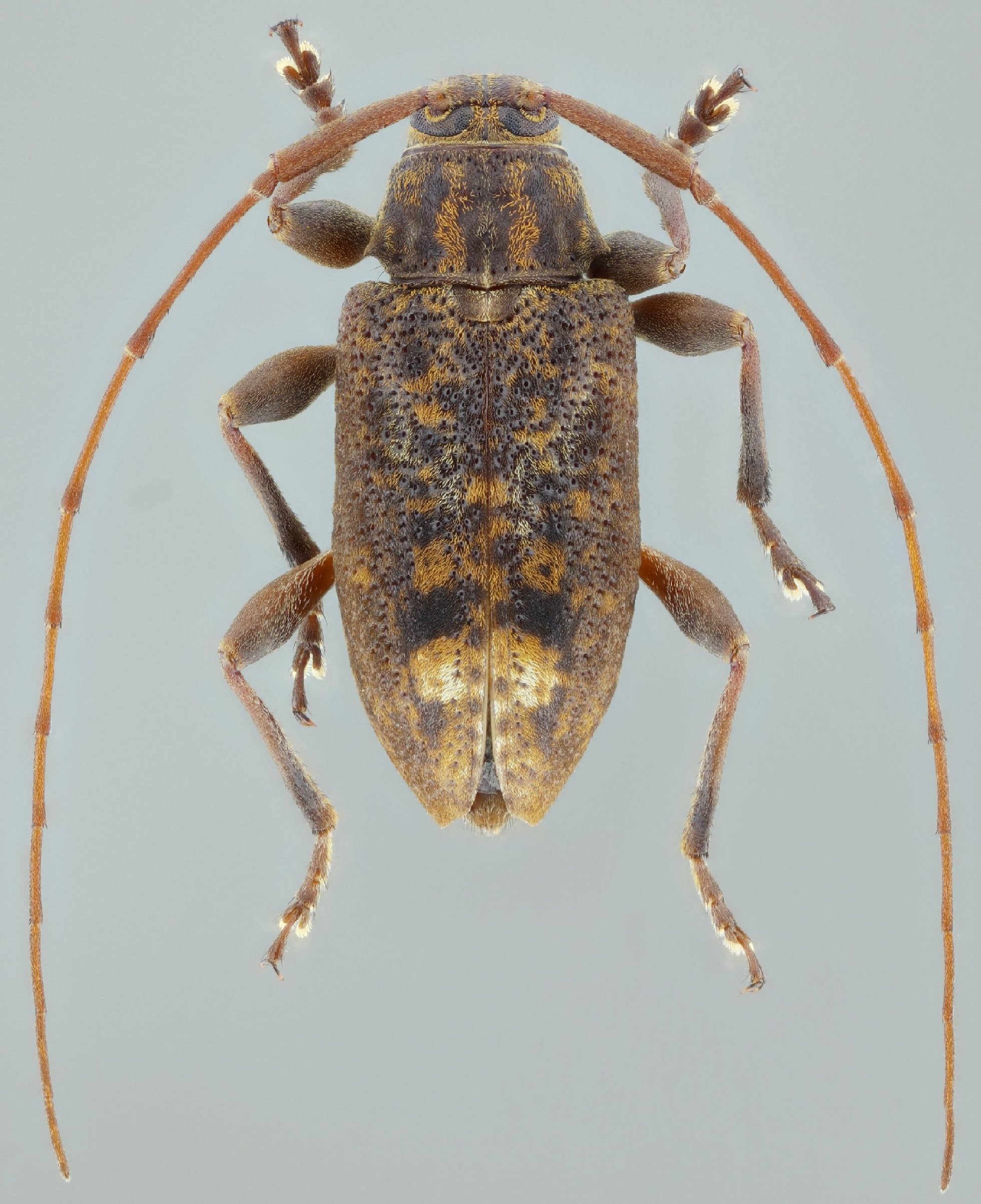
 Vlasak SS MZSP Sierra Alisos Hotel, Tambillo, Pichincha, Ecuador SS.jpg)
Specimen Type: holotype Sex: m Institution: MZSP Museu de Zoologia da Universidade de São Paulo, Brazil Photographer: Antonio Santos-Silva Collection Location: Sierra Alisos Hotel, Tambillo, Pichincha, Ecuador 80492
|
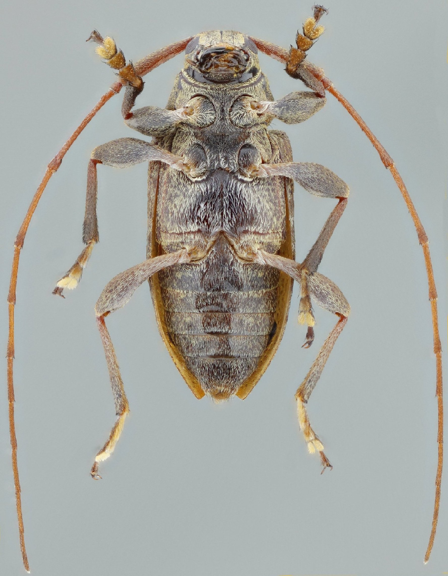
 Vlasak SS MZSP Sierra Alisos Hotel, Tambillo, Pichincha, Ecuador SS.jpg)
Specimen Type: holotype Sex: m Institution: MZSP Museu de Zoologia da Universidade de São Paulo, Brazil Photographer: Antonio Santos-Silva Collection Location: Sierra Alisos Hotel, Tambillo, Pichincha, Ecuador 80493
|
 Vlasak SS MZSP Sierra Alisos Hotel, Tambillo, Pichincha, Ecuador SS.jpg)
Specimen Type: holotype Sex: m Institution: MZSP Museu de Zoologia da Universidade de São Paulo, Brazil Photographer: Antonio Santos-Silva Collection Location: Sierra Alisos Hotel, Tambillo, Pichincha, Ecuador 80494
|
 Vlasak SS MZSP Sierra Alisos Hotel, Tambillo, Pichincha, Ecuador SS.jpg)
Specimen Type: holotype Sex: m Institution: MZSP Museu de Zoologia da Universidade de São Paulo, Brazil Photographer: Antonio Santos-Silva Collection Location: Sierra Alisos Hotel, Tambillo, Pichincha, Ecuador 80495
|
|