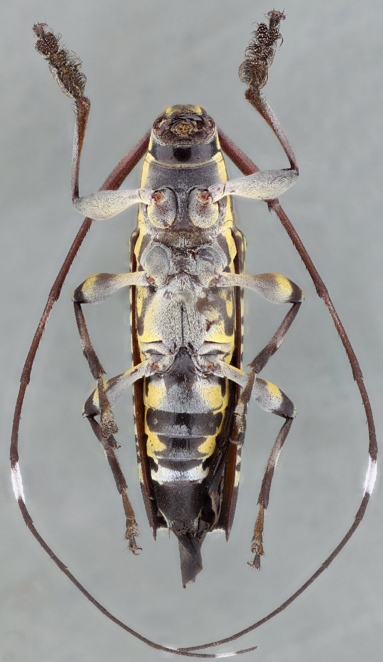
 Tava SS MNHN Crique Plomb, Sinnamary, French Guiana SS.jpg)
Specimen Type: holotype Sex: m Institution: MNHN Museum of Natural History Paris, France Photographer: Antonio Santos-Silva Collection Location: Crique Plomb, Sinnamary, French Guiana 80450
|
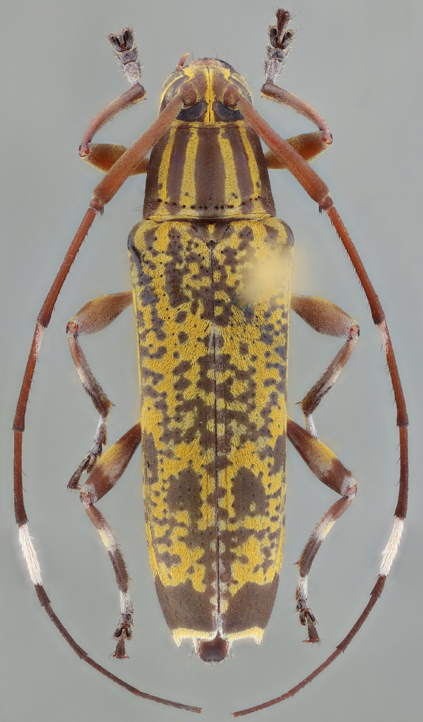
 Tava SS MNHN Crique Plomb, Sinnamary, French Guiana SS.jpg)
Specimen Type: holotype Sex: m Institution: MNHN Museum of Natural History Paris, France Photographer: Antonio Santos-Silva Collection Location: Crique Plomb, Sinnamary, French Guiana 80451
|
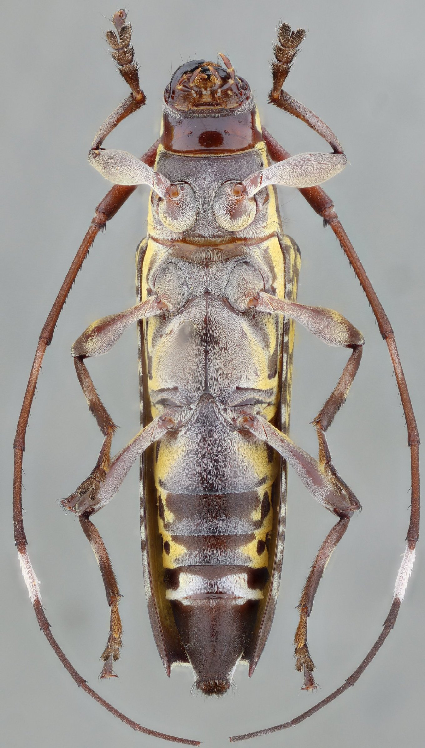
 Tava SS MNHN Crique Plomb, Sinnamary, French Guiana SS.jpg)
Specimen Type: holotype Sex: m Institution: MNHN Museum of Natural History Paris, France Photographer: Antonio Santos-Silva Collection Location: Crique Plomb, Sinnamary, French Guiana 80452
|
 Tava SS MNHN Crique Plomb, Sinnamary, French Guiana SS.jpg)
Specimen Type: holotype Sex: m Institution: MNHN Museum of Natural History Paris, France Photographer: Antonio Santos-Silva Collection Location: Crique Plomb, Sinnamary, French Guiana 80453
|
 Tav SS MNHN Bates collection SS.jpg)
Specimen Type: paratype Sex: m Institution: MNHN Museum of Natural History Paris, France Photographer: Antonio Santos-Silva Determiner: Bates Collection, as contaminata Collection Location: Tapajos River, Para, Brazil 80454
|
 Tav SS MNHN Thomson collection SS.jpg)
Specimen Type: paratype Sex: m Institution: MNHN Museum of Natural History Paris, France Photographer: Antonio Santos-Silva Determiner: Thomson Collection, as annulata Collection Location: Cayenne, French Guiana 80455
|
 Tav SS.jpg)
Specimen Type: paratype Sex: f Institution: MZSP Museu de Zoologia da Universidade de São Paulo, Brazil Photographer: Antonio Santos-Silva 80456
|
 Tav SS.jpg)
Specimen Type: paratype Sex: f Institution: MZSP Museu de Zoologia da Universidade de São Paulo, Brazil Photographer: Antonio Santos-Silva 80457
|
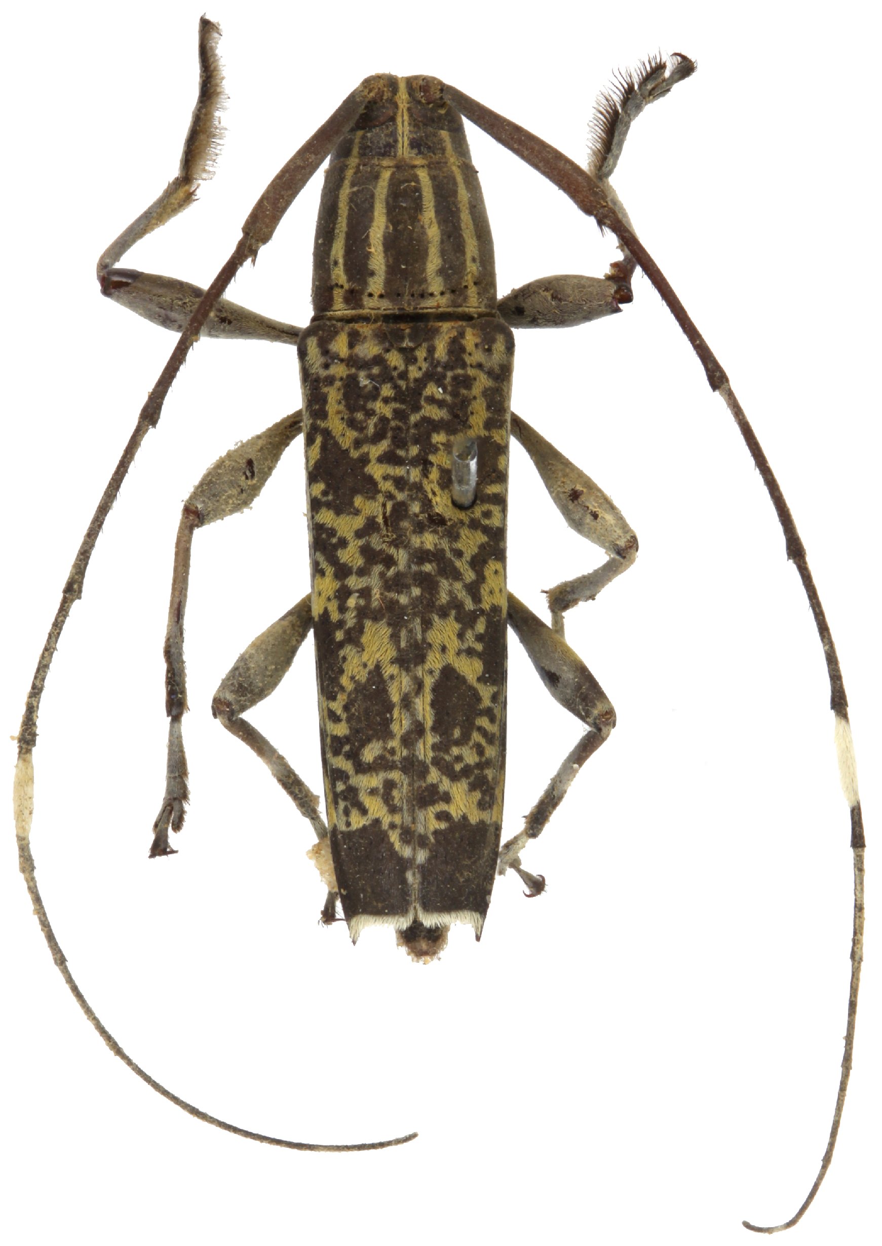
 Tav SS.jpg)
Specimen Type: paratype Sex: m Institution: MNHN Museum of Natural History Paris, France Photographer: Gerard Tavakilian 80458
|
 Tav SS.jpg)
Specimen Type: paratype Sex: f Institution: MNHN Museum of Natural History Paris, France Photographer: Gerard Tavakilian 80459
|
_FTH.jpg)
Institution: FTH Frank T. Hovore collection (now at California Academy of Sciences) Photographer: Larry G. Bezark Collection Location: Ecuador 5888
|