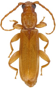
_Casey_USNM_=_cucujiforme.jpg)
Smodicum convergens Casey Specimen Type: holotype Sex: f Institution: NMNH United States National Museum, Washington, DC, USA Collection Location: Texas 26545
|
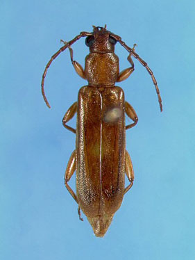
_Casey_USNM_=_cucujiforme.jpg)
Smodicum convergens Casey Specimen Type: holotype Sex: f Institution: NMNH United States National Museum, Washington, DC, USA Collection Location: Texas 26546
|

Photographer: Julien Touroult Collection Location: Guadeloupe 46358
|
_FSCA.jpg)
Institution: FSCA Florida State Collection of Arthropods, Gainesville, FL, USA Photographer: Mike Thomas 2821
|
|