 Thomson MNHN Cayenne, French Guiana Moure.jpg)
Specimen Type: holotype Sex: f Institution: MNHN Museum of Natural History Paris, France Photographer: JS Moure Collection Location: Cayenne, French Guiana 102019
|
_Thomson_MNHN_Tav.jpg)
Specimen Type: holotype Sex: f Institution: MNHN Museum of Natural History Paris, France Photographer: Gerard Tavakilian Collection Location: Cayenne, French Guiana 18418
|
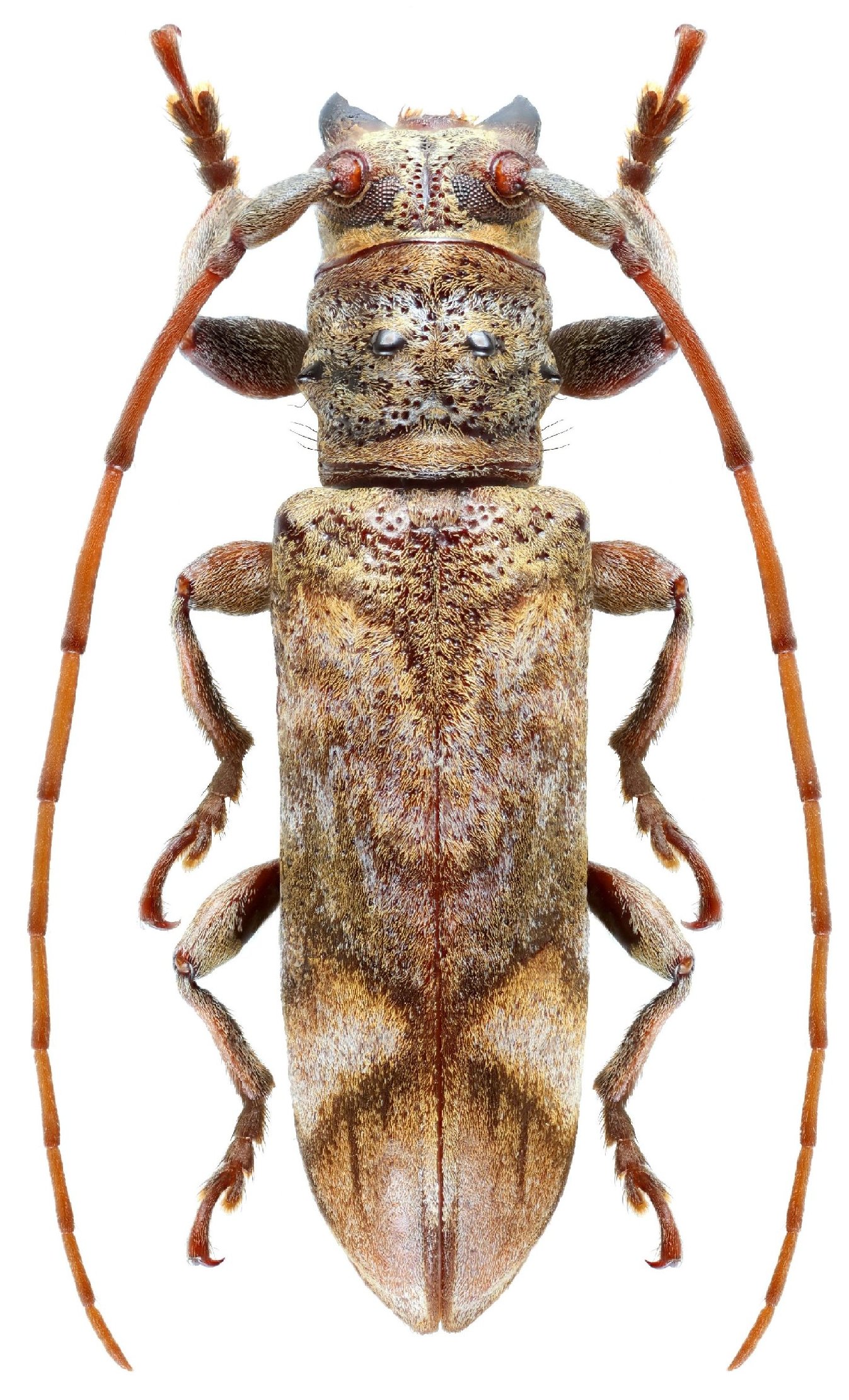
 Thomson Montage de Kaw, Roura, French Guiana Robin.jpg)
Sex: f Photographer: Frédéric Robin Collection Location: Montagne de Kaw, Roura, French Guiana 96160
|

Photographer: Denis Faure Collection Location: French Guiana 23783
|
_Det_Tavakilian_French_Guiana_UCB_100183.jpg)
Institution: UCB Essig Museum of Entomology, Berkeley, California, USA Photographer: Larry G. Bezark Determiner: Tavakilian Collection Location: French Guiana 12974
|

Institution: FTH Frank T. Hovore collection (now at California Academy of Sciences) Photographer: Larry G. Bezark Collection Location: Cerro Jefe Azul, Panama 27434
|

Institution: FTH Frank T. Hovore collection (now at California Academy of Sciences) Photographer: Larry G. Bezark Collection Location: Cerro Jefe Azul, Panama 27435
|