New Search Family, Subfamily and Tribe List

SubFamily Lamiinae

Tribe Pteropliini
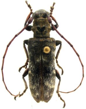
Rhaphiptera roppai Fragoso & Monné 1984

Specimen Type: holotype
Institution: MNRJ Museu Nacional Universidade do Rio Janeiro, Brazil
Photographer: Steve Lingafelter
12981


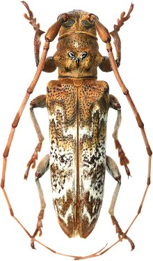
Photographer: Odette Morvan
Collection Location: French Guiana
40196


Photographer: Jean-Louis Giuglaris
Collection Location: Kaw, French Guiana
29318

130425