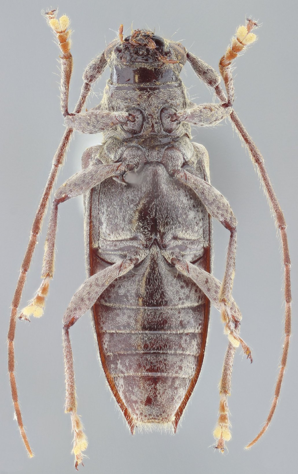
_Fisher_Whitfield_Hall_Blue_Mtns_Jamaica_MCZ_=_Esthlogena_monticola.jpg)
Ataxia monticola Fisher Specimen Type: holotype Institution: MCZ Museum of Comparative Zoology, Harvard University, Cambridge, MA, USA Collection Location: Whitfield Hall Blue Mtns, Jamaica 15329
|
_Fisher_Whitfield_Hall_Blue_Mtns_Jamaica_MCZ_=_Esthlogena_monticola.jpg)
Ataxia monticola Fisher Specimen Type: holotype Institution: MCZ Museum of Comparative Zoology, Harvard University, Cambridge, MA, USA Collection Location: Whitfield Hall Blue Mtns, Jamaica 15330
|
_Fisher_Whitfield_Hall_Blue_Mtns_Jamaica_MCZ_=_Esthlogena_monticola.jpg)
Ataxia monticola Fisher Specimen Type: holotype Institution: MCZ Museum of Comparative Zoology, Harvard University, Cambridge, MA, USA Collection Location: Whitfield Hall Blue Mtns, Jamaica 15331
|
_Fisher_Whitfield_Hall_Blue_Mtns_Jamaica_MCZ_=_Esthlogena_monticola.jpg)
Ataxia monticola Fisher Specimen Type: holotype Institution: MCZ Museum of Comparative Zoology, Harvard University, Cambridge, MA, USA Collection Location: Whitfield Hall Blue Mtns, Jamaica 15332
|
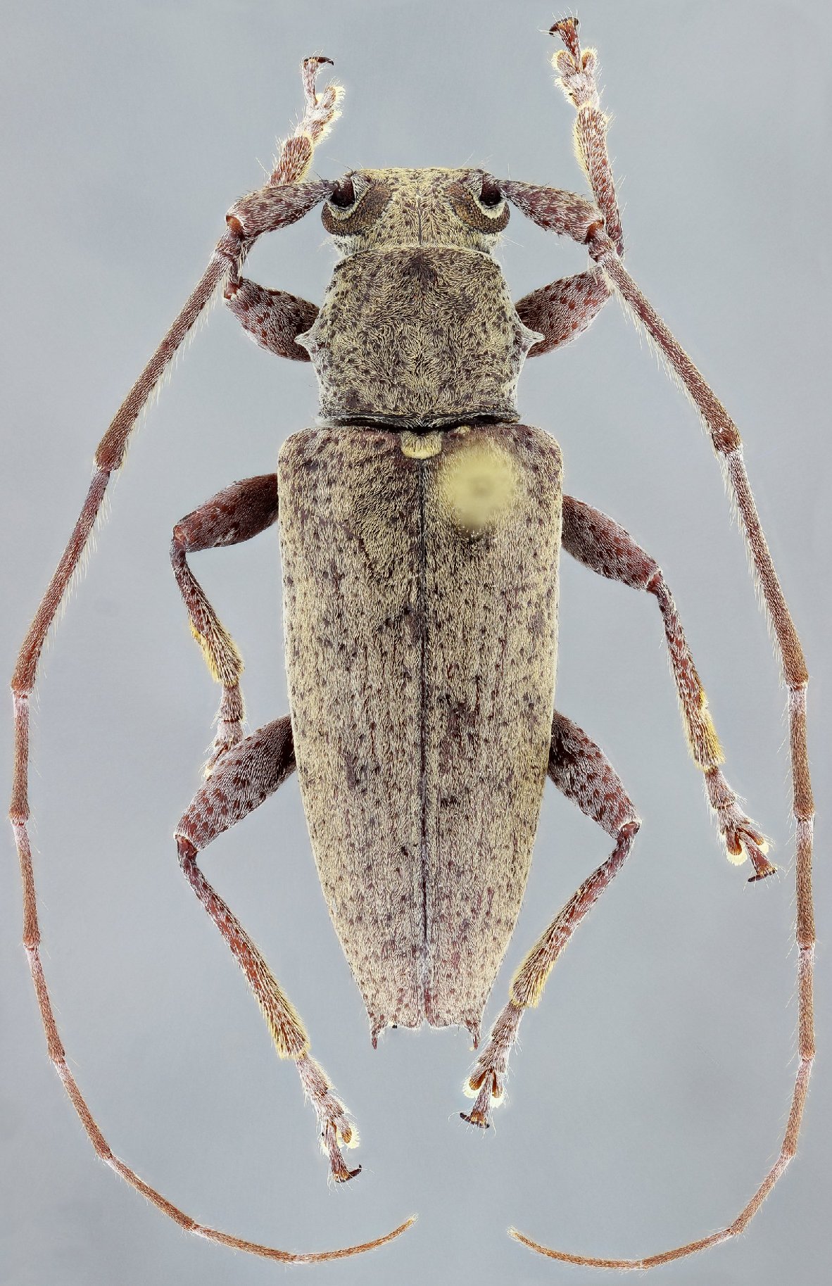
_Breun_BMNH_Mona_Jamaica_LGB.jpg)
Estoloides spinipennis Breuning Specimen Type: holotype Sex: f Institution: BMNH British Museum Natural History, London, UK Photographer: Larry G. Bezark Collection Location: Mona, Jamaica 46787
|
_Breun_BMNH_Mona_Jamaica_LGB.jpg)
Estoloides spinipennis Breuning Specimen Type: holotype Sex: f Institution: BMNH British Museum Natural History, London, UK Photographer: Larry G. Bezark Collection Location: Mona, Jamaica 46788
|
_Breuning_BMNH_Hespenheide_FTH_Jamaica.jpg)
Estoloides spinipennis Breuning Specimen Type: holotype Institution: BMNH British Museum Natural History, London, UK Photographer: Henry Hespenheide Collection Location: Mona, Jamaica 16494
|
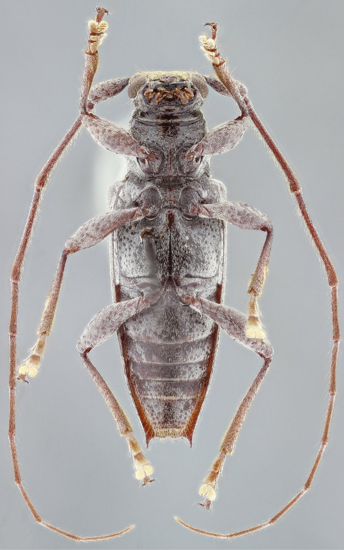
_(Fisher)_MZSP_Hardwar_Gap_Jamaica_SS.jpg)
Sex: m Institution: MZSP Museu de Zoologia da Universidade de São Paulo, Brazil Photographer: Antonio Santos-Silva Collection Location: Hardwar Gap, Jamaica 63827
|
_(Fisher)_MZSP_Hardwar_Gap_Jamaica_SS.jpg)
Sex: m Institution: MZSP Museu de Zoologia da Universidade de São Paulo, Brazil Photographer: Antonio Santos-Silva Collection Location: Hardwar Gap, Jamaica 63828
|
_(Fisher)_MZSP_Hardwar_Gap_Jamaica_SS.jpg)
Sex: m Institution: MZSP Museu de Zoologia da Universidade de São Paulo, Brazil Photographer: Antonio Santos-Silva Collection Location: Hardwar Gap, Jamaica 63829
|
_(Fisher)_MZSP_Hardwar_Gap_Jamaica_SS.jpg)
Sex: m Institution: MZSP Museu de Zoologia da Universidade de São Paulo, Brazil Photographer: Antonio Santos-Silva Collection Location: Hardwar Gap, Jamaica 63830
|
_(Fisher)_MZSP_Hardwar_Gap_Jamaica_SS.jpg)
Sex: f Institution: MZSP Museu de Zoologia da Universidade de São Paulo, Brazil Photographer: Antonio Santos-Silva Collection Location: Hardwar Gap, Jamaica 63831
|
_(Fisher)_MZSP_Hardwar_Gap_Jamaica_SS.jpg)
Sex: f Institution: MZSP Museu de Zoologia da Universidade de São Paulo, Brazil Photographer: Antonio Santos-Silva Collection Location: Hardwar Gap, Jamaica 63832
|
_(Fisher)_MZSP_Hardwar_Gap_Jamaica_SS.jpg)
Sex: f Institution: MZSP Museu de Zoologia da Universidade de São Paulo, Brazil Photographer: Antonio Santos-Silva Collection Location: Hardwar Gap, Jamaica 63833
|
_(Fisher)_MZSP_Hardwar_Gap_Jamaica_SS.jpg)
Sex: f Institution: MZSP Museu de Zoologia da Universidade de São Paulo, Brazil Photographer: Antonio Santos-Silva Collection Location: Hardwar Gap, Jamaica 63834
|