New Search Family, Subfamily and Tribe List

SubFamily Lamiinae

Tribe Pteropliini
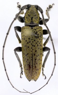
Esthlogena foveolata Aurivillius 1920

Specimen Type: syntype
Institution: NHRS Naturhistoriska Riksmuseet, Stockholm, Sweden
Photographer: JS Moure
Collection Location: Bolivia
101790


Photographer: Alicia M. Hodson
42187

130425