_Erichson_MNHU_JAC_=_Ataxia_operaria.jpg)
Hebestola operaria Erichson Specimen Type: holotype Sex: f Institution: ZMHB Museum für Naturkunde der Humboldt-Universität, Berlin, Germany Photographer: John Chemsak Collection Location: Guyana 16743
|
_Bates_BMNH_Paso_delMacho_VCMex_nowAtax_operar_LGB.jpg)
Parysatis flavescens Bates Specimen Type: lectotype Sex: m Institution: BMNH British Museum Natural History, London, UK Photographer: Larry G. Bezark Collection Location: Paso del Macho, Veracruz, Mexico 47198
|
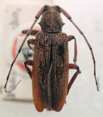
_Bates_BMNH_JAC_=_Ataxia_operaria_(Erichson).jpg)
Parysatis flavescens Bates Specimen Type: lectotype Sex: m Institution: BMNH British Museum Natural History, London, UK Photographer: John Chemsak Collection Location: Paso del Macho, Veracruz, Mexico 18051
|
 Erichson ZMHB now Ataxia Moure.jpg)
Parysatis nigritarsis? Thomson Specimen Type: syntype Institution: MNHN Museum of Natural History Paris, France Photographer: JS Moure Collection Location: Guyana 101823
|
_Det_Martins_CAS.jpg)
Institution: CAS California Academy of Sciences, San Francisco, CA, USA Photographer: Larry G. Bezark Determiner: Bira Martins 4815
|

Photographer: Larry G. Bezark Determiner: Martins Collection Location: La Paz, Bolivia 24531
|

Photographer: Larry G. Bezark Determiner: Martins Collection Location: La Paz, Bolivia 24532
|
_Kaw_FG_JLG.jpg)
Photographer: Jean-Louis Giuglaris Collection Location: Kaw, French Guinea 67927
|
_Det_Wappes_Bayano_Panama_UCB_100205.jpg)
Institution: UCB Essig Museum of Entomology, Berkeley, California, USA Photographer: Larry G. Bezark Determiner: Jim Wappes Collection Location: Bayano, Panama 4816
|