New Search Family, Subfamily and Tribe List

SubFamily Lamiinae

Tribe Pteropliini
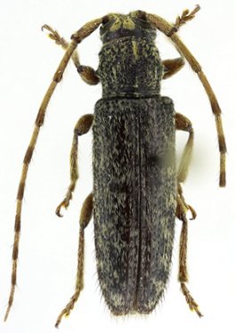
Ataxia obtusa (Bates, 1866)

Esthlogena obtusa Bates
Specimen Type: holotype
Sex: f
Institution: MNHN Museum of Natural History Paris, France
Photographer: JS Moure
Collection Location: Rio de Janeiro, Brazil
16447


Photographer: Alicia M. Hodson
42023

130425