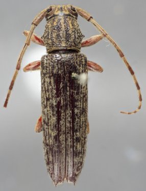
_Fabr_Nearns_now_Ataxia.jpg)
Stenocorus obscurus Fabricius Specimen Type: holotype Sex: f Institution: ZMUC University of Copenhagen, Zoological Museum, København, Denmark Photographer: Gino Nearns Collection Location: America Meridionali 42549
|
 Fabricius ZMUC America Meridionali now Atax Moure.jpg)
Stenocorus obscurus Fabricius Specimen Type: holotype Sex: f Institution: ZMUC University of Copenhagen, Zoological Museum, København, Denmark Photographer: JS Moure Collection Location: America Meridionali 101939
|
 Thomson MNHN Cayenne, French Guiana now Atax obscura Moure.jpg)
Parysatis collaris Thomson Specimen Type: holotype Institution: MNHN Museum of Natural History Paris, France Photographer: JS Moure Collection Location: Cayenne, French Guiana 101940
|
_FTH.jpg)
Institution: FTH Frank T. Hovore collection (now at California Academy of Sciences) Photographer: Larry G. Bezark 4820
|
_Faure_French_Guiana.jpg)
Photographer: Denis Faure Collection Location: French Guiana 21649
|
_Kaw_FG_JLG.jpg)
Photographer: Jean-Louis Giuglaris Collection Location: Belizon, French Guiana 28594
|

Photographer: Jean-Louis Giuglaris Collection Location: Kaw, French Guiana 28753
|
_JW.jpg)
Photographer: Jim Wappes Collection Location: Bolivia 42021
|
_GD_Ouellette.jpg)
Photographer: Gary D. Ouellette 42022
|