 G M MZSP Mato Grosso, Brazil SS4.jpg)
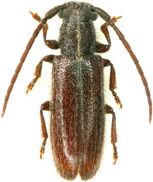
Specimen Type: holotype Sex: m Institution: MZSP Museu de Zoologia da Universidade de São Paulo, Brazil Photographer: Antonio Santos-Silva Collection Location: Mato Grosso, Brazil 79229
|
 G M MZSP Mato Grosso, Brazil SS.jpg)
Specimen Type: holotype Sex: m Institution: MZSP Museu de Zoologia da Universidade de São Paulo, Brazil Photographer: Antonio Santos-Silva Collection Location: Mato Grosso, Brazil 79230
|
 G M MZSP Mato Grosso, Brazil SS.jpg)
Specimen Type: holotype Sex: m Institution: MZSP Museu de Zoologia da Universidade de São Paulo, Brazil Photographer: Antonio Santos-Silva Collection Location: Mato Grosso, Brazil 79231
|
 G M BMNH Mato Grosso, Brazil SS.jpg)
Specimen Type: paratype Sex: m Institution: MZSP Museu de Zoologia da Universidade de São Paulo, Brazil Photographer: Antonio Santos-Silva Collection Location: Mato Grosso, Brazil 79232
|
 G M BMNH Mato Grosso, Brazil SS.jpg)
Specimen Type: paratype Sex: m Institution: MZSP Museu de Zoologia da Universidade de São Paulo, Brazil Photographer: Antonio Santos-Silva Collection Location: Mato Grosso, Brazil 79233
|

Photographer: Gary D. Ouellette 42006
|

Photographer: Odette Morvan Collection Location: French Guiana 39965
|