_Mart_Gal_MZSP_Rio_felicio_Amapa_Brazil_Nasc.jpg)
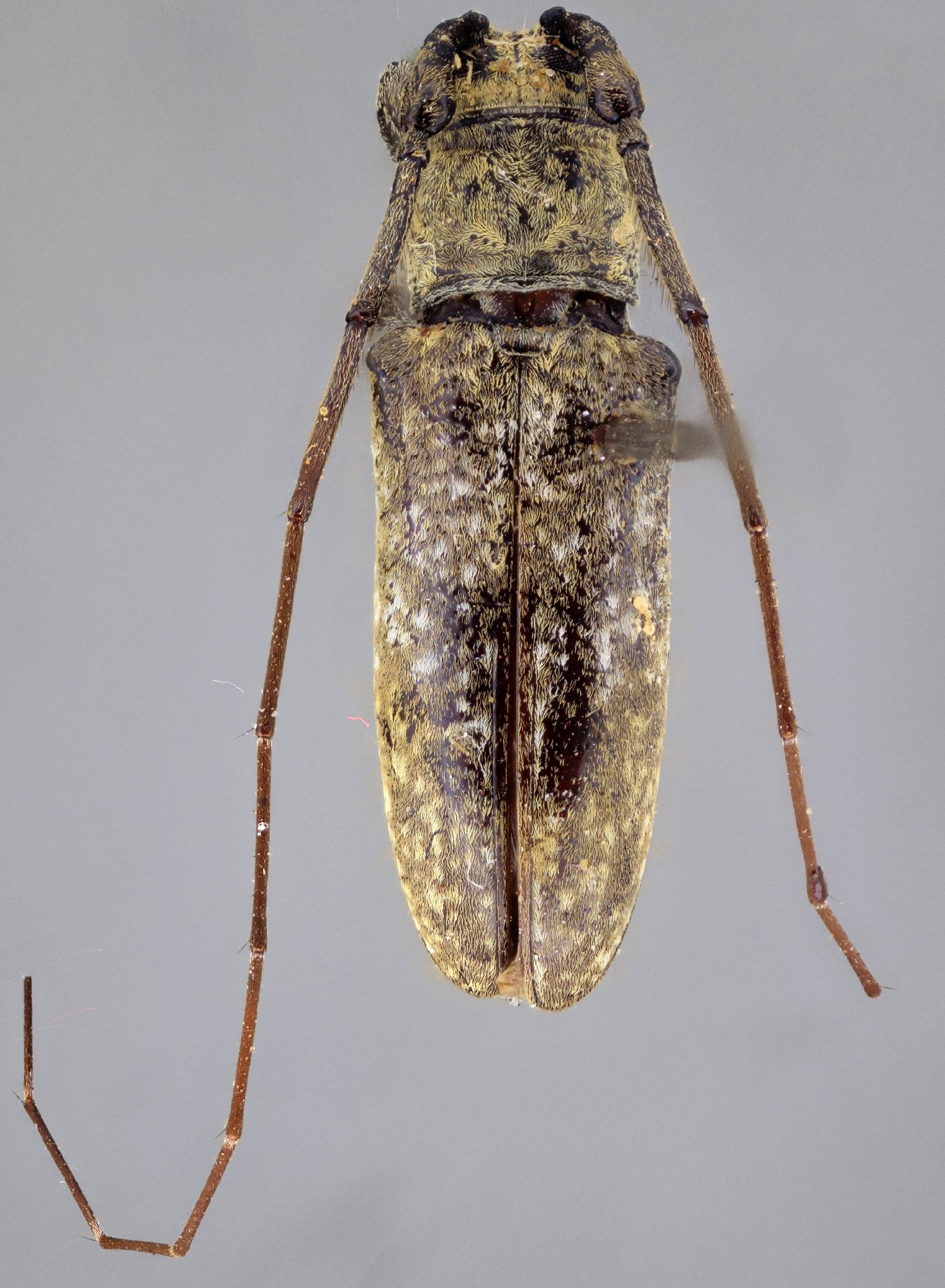
Specimen Type: holotype Sex: m Institution: MZSP Museu de Zoologia da Universidade de São Paulo, Brazil Photographer: Gino Nearns Collection Location: Rio Felicio, Amapa, Brazil 14322
|
_Mart_Gal_MZSP_Rio_felicio_Amapa_Brazil_Nasc.jpg)
Specimen Type: holotype Sex: m Institution: MZSP Museu de Zoologia da Universidade de São Paulo, Brazil Photographer: Gino Nearns Collection Location: Rio Felicio, Amapa, Brazil 26753
|