_Buquet_MNHN_Cayenne_Fr_G_GN.jpg)
Specimen Type: holotype Sex: m Institution: MNHN Museum of Natural History Paris, France Photographer: Gino Nearns Collection Location: Cayenne, French Guiana 30524
|
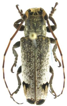
_Buquet_GN.jpg)
Sex: f Photographer: Gino Nearns 30525
|

Institution: UCB Essig Museum of Entomology, Berkeley, California, USA Photographer: Larry G. Bezark Determiner: Tavakilian Collection Location: French Guiana 14319
|

Photographer: Denis Faure Collection Location: French Guiana 26744
|

Photographer: Jean-Louis Giuglaris Collection Location: Belizon, French Guiana 29408
|
|