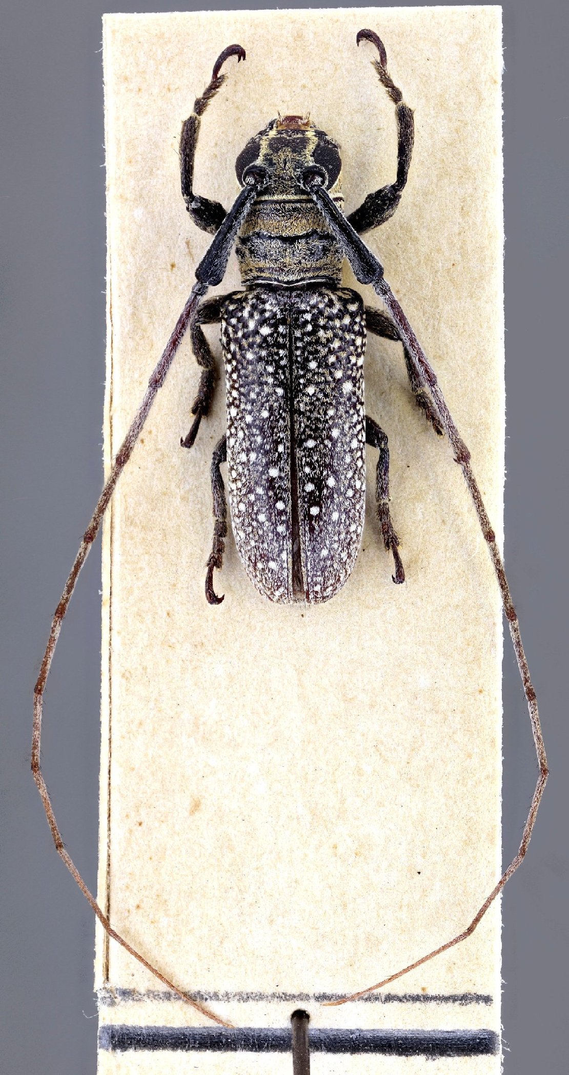
_Martins_MZSP_Santa_Cruz_SC_Bolivia_GN.jpg)
Specimen Type: holotype Sex: m Institution: MZSP Museu de Zoologia da Universidade de São Paulo, Brazil Photographer: Gino Nearns Collection Location: Santa Cruz, Santa Cruz, Bolivia 30466
|
_Martins_MZSP_Santa_Cruz_Santa_Cruz_Bolivia_Nasc.jpg)
Specimen Type: holotype Institution: MZSP Museu de Zoologia da Universidade de São Paulo, Brazil Photographer: Gino Nearns Collection Location: Santa Cruz, Santa Cruz, Bolivia 24012
|
_Martins_MZSP_Santa_Cruz_Santa_Cruz_Bolivia_Nasc.jpg)
Specimen Type: holotype Sex: m Institution: MZSP Museu de Zoologia da Universidade de São Paulo, Brazil Photographer: Gino Nearns Collection Location: Santa Cruz, Santa Cruz, Bolivia 11306
|

Photographer: Jim Wappes Collection Location: Bolivia 11307
|

Photographer: Jim Wappes Collection Location: Bolivia 11308
|
|