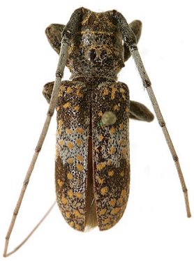
_Bates_MNHN_Villa_Lerdo_Durango_Mex_GN.jpg)
Specimen Type: lectotype Sex: m Institution: MNHN Museum of Natural History Paris, France Photographer: Gino Nearns Collection Location: Villa Lerdo, Durango, Mexico 55875
|
_Casey_Nearns_now_rhodosticta.jpg)
Oncideres trinodatus Casey Specimen Type: holotype Sex: m Institution: NMNH United States National Museum, Washington, DC, USA Photographer: Gino Nearns Collection Location: El Paso, Texas 42385
|
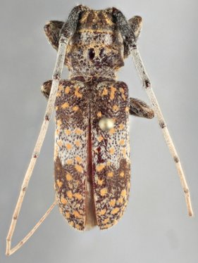
_Casey_NMNH_El_Paso_TX_now_rhodostict.jpg)
Oncideres trinodatus Casey Specimen Type: lectotype Sex: m Institution: NMNH United States National Museum, Washington, DC, USA Photographer: Steve Lingafelter Collection Location: El Paso, Texas 40157
|
_Casey_NMNH_El_Paso_TX_now_rhodostict.jpg)
Oncideres trinodatus Casey Specimen Type: lectotype Sex: m Institution: NMNH United States National Museum, Washington, DC, USA Photographer: Steve Lingafelter Collection Location: El Paso, Texas 40158
|

Photographer: Larry G. Bezark 2309
|
|