_Thomson_MNHN_Brazil_Tav.jpg)
Specimen Type: holotype Sex: f Institution: MNHN Museum of Natural History Paris, France Photographer: Gerard Tavakilian Collection Location: Nova Friburgo, Rio de Janeiro, Brazil 30446
|
_Thomson_MNHN_Nova_Friburgo_RJ_Brazil_GN.jpg)
Specimen Type: holotype Sex: f Institution: MNHN Museum of Natural History Paris, France Photographer: Gino Nearns Collection Location: Nova Friburgo, Rio de Janeiro, Brazil 55869
|
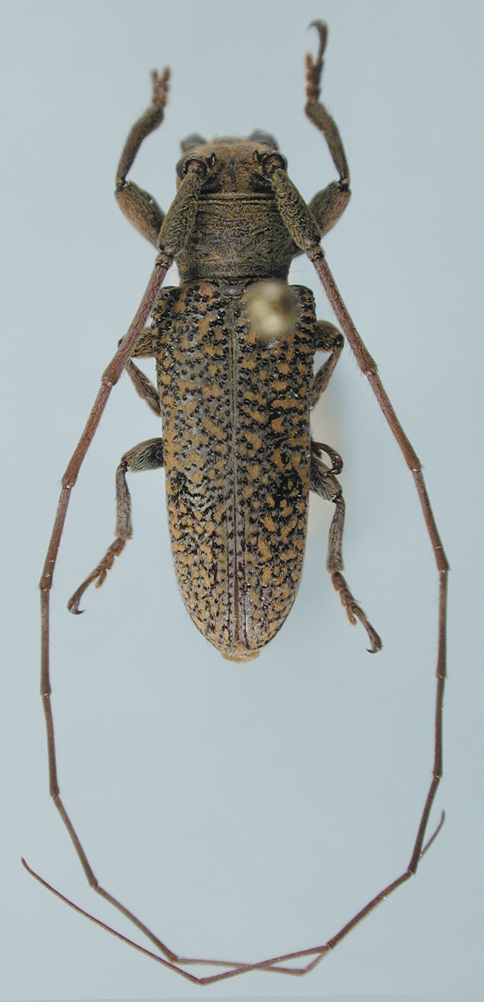
_Mart_Gal_MZSP_Parque_Estadual_Florestal_Campos_de_Jordao_SP_Braz_Nasc.jpg)
Oncideres teixierai Martins & Galileo Specimen Type: holotype Sex: f Institution: MZSP Museu de Zoologia da Universidade de São Paulo, Brazil Photographer: Gino Nearns Collection Location: Parque Estadual Florestal, Campos de Jordao, Sao Paolo, Brazil 24010
|
_Mart_Gal_MZSP_Parque_Estadual_Florestal_Campos_de_Jordao_SP_Braz_Nasc.jpg)
Oncideres teixeirai Martins & Galileo Specimen Type: holotype Sex: f Institution: MZSP Museu de Zoologia da Universidade de São Paulo, Brazil Photographer: Gino Nearns Collection Location: Parque Estadual Florestal, Campos de Jordao, Sao Paolo, Brazil 11299
|

Sex: m Institution: LGBC Larry G. Bezark Collection, Sacramento, California, USA Photographer: Larry G. Bezark Determiner: Gino Nearns Collection Location: Conceicao, Minas Gerais, Brazil 95787
|
 Thomson Conceicao, Minas Gerais, Brazil LGBC det GN.jpg)
Sex: m Institution: LGBC Larry G. Bezark Collection, Sacramento, California, USA Photographer: Larry G. Bezark Determiner: Gino Nearns Collection Location: Conceicao, Minas Gerais, Brazil 95788
|
 Thomson Conceicao, Minas Gerais, Brazil LGBC det GN.jpg)
Sex: m Institution: LGBC Larry G. Bezark Collection, Sacramento, California, USA Photographer: Larry G. Bezark Determiner: Gino Nearns Collection Location: Conceicao, Minas Gerais, Brazil 95789
|
 Thomson Conceicao, Minas Gerais, Brazil LGBC det GN.jpg)
Sex: m Institution: LGBC Larry G. Bezark Collection, Sacramento, California, USA Photographer: Larry G. Bezark Determiner: Gino Nearns Collection Location: Conceicao, Minas Gerais, Brazil 95790
|
|