_Thomson_MNHN_Brazil_Tav.jpg)
Specimen Type: syntype Sex: f Institution: MNHN Museum of Natural History Paris, France Photographer: Gerard Tavakilian Collection Location: Brazil 30441
|
_Thomson_MNHN_Brazil_GN.jpg)
Specimen Type: lectotype Sex: f Institution: MNHN Museum of Natural History Paris, France Photographer: Gino Nearns Collection Location: Brazil 55862
|

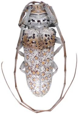
Sex: f Institution: ZUFMS Coleção Zoológica da Universidade Federal de Mato Grosso do Sul, Brazil Photographer: Antonio Santos-Silva Collection Location: Coxim, Mato Grosso do Sul, Brazil 101018
|

Photographer: Marcela Monne Collection Location: Itatiaia National Park, Rio de Janeiro, Brazil 35375
|
|