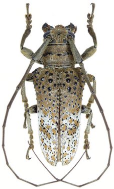
_Thomson_MNHN_Cayenne_Fr_G_GN.jpg)
Specimen Type: neotype Sex: m Institution: MNHN Museum of Natural History Paris, France Photographer: Gino Nearns Collection Location: Cayenne, French Guiana 30433
|

Photographer: Gino Nearns 42374
|

Photographer: Denis Faure Collection Location: French Guiana 29071
|
 Thomson Montagne de Kaw, Roura, French Guiana Robin.jpg)
Sex: m Photographer: Frédéric Robin Collection Location: Montagne de Kaw, Roura, French Guiana 29072
|
|