New Search Family, Subfamily and Tribe List

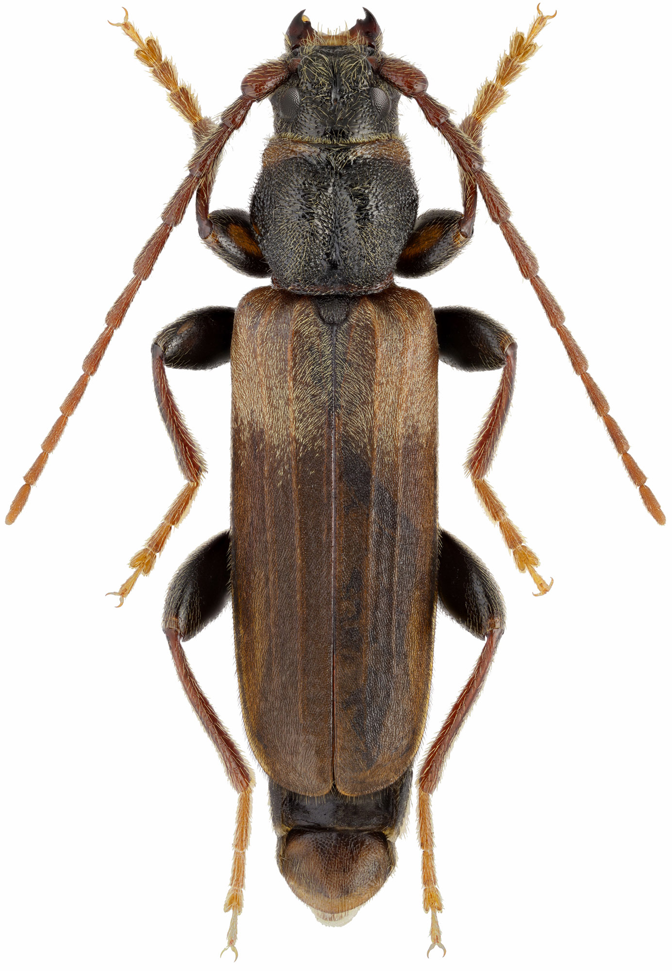
SubFamily Spondylidinae

Tribe Tetropiini
Tetropium fuscum (Fabricius, 1787)

Photographer: Boza & Sedlacek
Collection Location: Potstat, Oderske, Moravia, Czech Republic
76745


Sex: m
Photographer: Kirill V. Makarov
Collection Location: Pavlovskaya Sloboda, Istrinsky district, Moscow oblast, Russia
80200


Collection Location: Nova Scotia, Canada
20775

130425