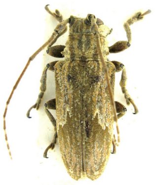
_Bates_MNHN_Cayenne_Fr_Guiana_=_Hesychotypa_Tav.jpg)
Hesycha liturata Bates Specimen Type: lectotype Sex: m Institution: MNHN Museum of Natural History Paris, France Photographer: Gerard Tavakilian Collection Location: Cayenne, French Guiana 30336
|
_Bates_MNHN_FTH_=_Hesychotypa.jpg)
Hesycha liturata Bates Specimen Type: lectotype, syntype Sex: m Institution: MNHN Museum of Natural History Paris, France Collection Location: Cayenne, French Guiana 16770
|
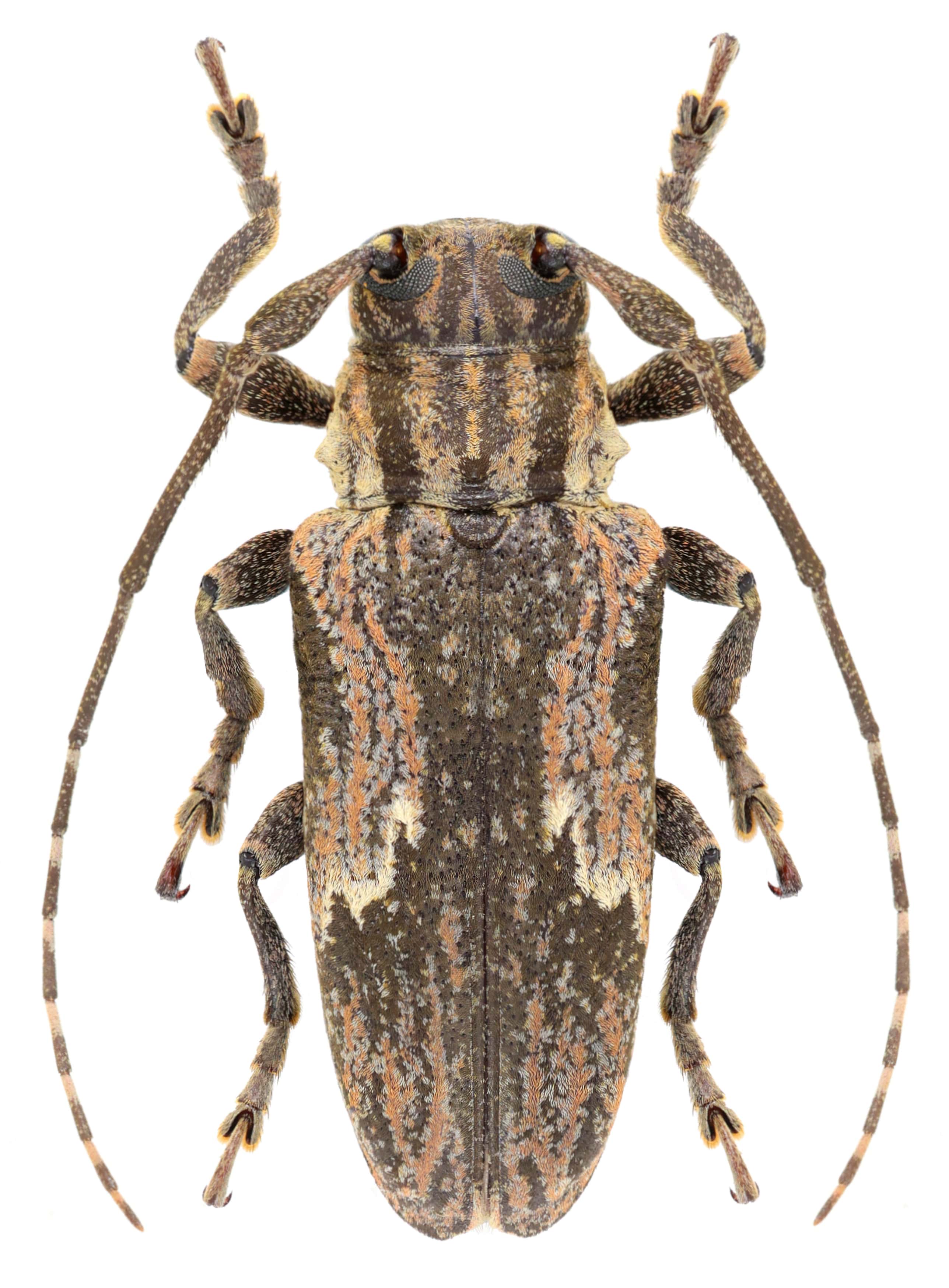
_Bates_MNHN_Cayenne_Fr_G_now_Hesychotypa_GN.jpg)
Hesycha liturata Bates Specimen Type: lectotype Sex: m Institution: MNHN Museum of Natural History Paris, France Photographer: Gino Nearns Collection Location: Cayenne, French Guiana 55823
|
_Thoms_MNHN_Cayenne_Fr_G_now_Hesychotypa_GN.jpg)
Ischiocentra humilis Thomson Specimen Type: lectotype Sex: m Institution: MNHN Museum of Natural History Paris, France Photographer: Gino Nearns Collection Location: Cayenne, French Guiana 20426
|

Institution: UCB Essig Museum of Entomology, Berkeley, California, USA Photographer: Larry G. Bezark Determiner: Wappes Collection Location: Rondonia, Brazil 8312
|
 Bates Montagne des Chevaux, French Guiana Robin.jpg)
Sex: f Photographer: Frédéric Robin Collection Location: Montagne des Chevaux, French Guiana 21971
|

Photographer: Jean-Louis Giuglaris Collection Location: Cayenne, French Guiana 28813
|
|