_Bates_MNHN_Cayenne_Fr_Guiana_Tav.jpg)
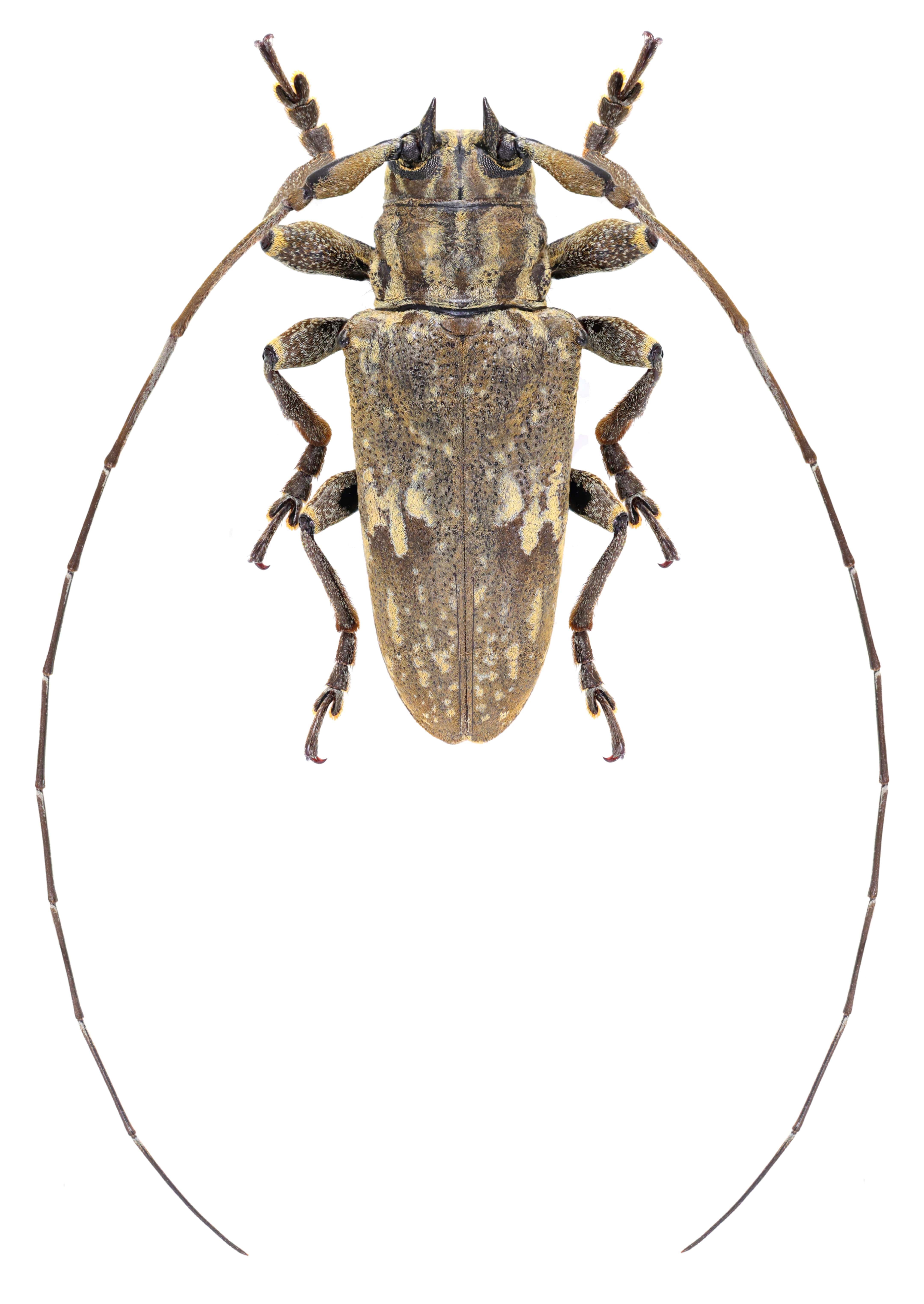
Hesycha jaspidea Bates Specimen Type: holotype Sex: m Institution: MNHN Museum of Natural History Paris, France Photographer: Gerard Tavakilian Collection Location: Cayenne, French Guiana 30334
|
_Bates_MNHN_Cayenne_Fr_G_now_Hesychotypa_GN.jpg)
Hesycha jaspidea Bates Specimen Type: holotype Sex: m Institution: MNHN Museum of Natural History Paris, France Photographer: Gino Nearns Collection Location: Cayenne, French Guiana 55821
|
_Bates_MNHN_FTH_=_Hesychotypa.jpg)
Hesycha jaspidea Bates Specimen Type: holotype Sex: m Institution: MNHN Museum of Natural History Paris, France Collection Location: Cayenne, French Guiana 16769
|
 Bates Montagne des Chevaux, French Guiana Robin.jpg)
Sex: m Photographer: Frédéric Robin Collection Location: Montagne des Chevaux, French Guiana 21970
|
_Det_Tavakilian_French_Guiana_UCB.jpg)
Institution: UCB Essig Museum of Entomology, Berkeley, California, USA Photographer: Larry G. Bezark Determiner: Tavakilian Collection Location: French Guiana 8310
|
|