_Dillon_and_Dillon_CMNH.jpg)
Specimen Type: holotype Institution: CMNH Carnegie Museum of Natural History, Pittsburgh, PA, USA Photographer: Steve Lingafelter 23959
|
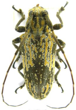
_DillonDillon_CMNH_PiedSaut_OyapokRiver_FrGuiana_Nearns.jpg)
Specimen Type: holotype Sex: f Institution: CMNH Carnegie Museum of Natural History, Pittsburgh, PA, USA Photographer: Gino Nearns Collection Location: Pied Saut, Oyapok River, French Guiana 39646
|