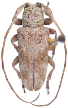
_Mart_Gal_MZSP_Ilha_da_Queimada_Grande_SP_Brazil_Nasc.jpg)
Specimen Type: holotype Sex: f Institution: MZSP Museu de Zoologia da Universidade de São Paulo, Brazil Photographer: Gino Nearns Collection Location: Ilha da Queimada Grande, Sao Paolo, Brazil 23909
|

Photographer: Marcela Monne Collection Location: Itatiaia National Park, Rio de Janeiro, Brazil 35349
|