_Erichson_ZHMB_Peru_now_Ecthoea_quadri_GN.jpg)
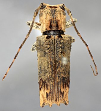
Trachysomus faunus Erichson Specimen Type: holotype Sex: m Institution: ZMHB Museum für Naturkunde der Humboldt-Universität, Berlin, Germany Photographer: Gino Nearns Collection Location: Peru 18762
|
_Erichson_ZHMB_Peru_now_Ecthoea_quadri_GN.jpg)
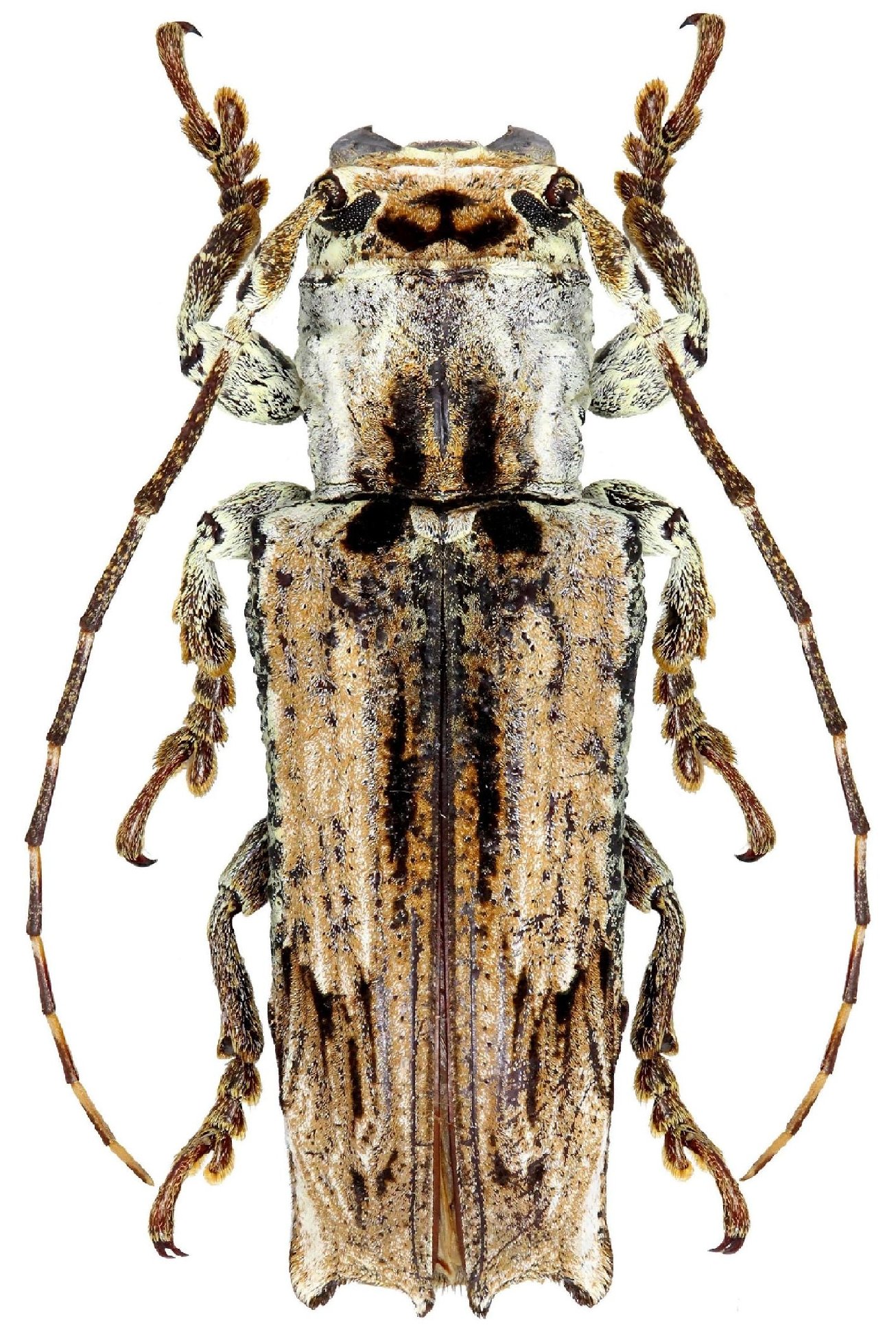
Trachysomus faunus Erichson Specimen Type: holotype Sex: m Institution: ZMHB Museum für Naturkunde der Humboldt-Universität, Berlin, Germany Photographer: Gino Nearns Collection Location: Peru 69942
|
_Fabr_Nearns_now_Ecthoea_quad.jpg)
Lamia bispinator Fabricius Specimen Type: holotype Sex: f Institution: ZMUC University of Copenhagen, Zoological Museum, København, Denmark Photographer: Gino Nearns Collection Location: America Meridionale 42262
|
_(Olivier)_GN.jpg)
Sex: f Photographer: Gino Nearns 30309
|
.jpg)
7155
|
_BCA.jpg)
Institution: BCA Biologia Centrali Americana 7156
|
_Det_Lane_CAS.jpg)
Institution: CAS California Academy of Sciences, San Francisco, CA, USA Photographer: Larry G. Bezark Determiner: Lane 7157
|
 Montagne des Chevaux, Roura, French Guiana Robin.jpg)
Photographer: Frédéric Robin Collection Location: Montagne des Chevaux, Roura, French Guiana 78191
|