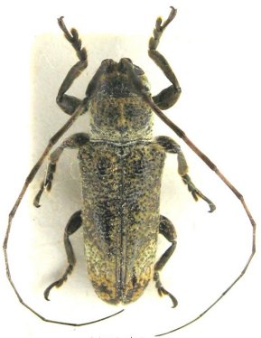
_Fabricius_ZMUC_S_America_=_Cyclicasta_Tav.jpg)
Saperda liturata Fabricius Specimen Type: holotype Sex: f Institution: ZMUC University of Copenhagen, Zoological Museum, København, Denmark Photographer: Gerard Tavakilian Collection Location: South America 30498
|
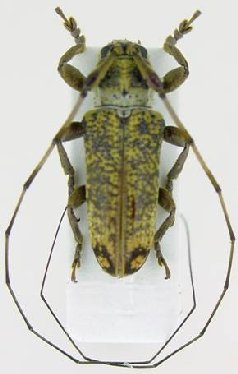
_Fr_Guiana_Faure.jpg)
Photographer: Denis Faure Collection Location: French Guiana 28682
|