_Dillon_and_Dillon_Cay_French_Guiana_MCZ.jpg)
Specimen Type: holotype Institution: MCZ Museum of Comparative Zoology, Harvard University, Cambridge, MA, USA Collection Location: Cay, French Guiana 15399
|
_Dillon_and_Dillon_Cay_French_Guiana_MCZ.jpg)
Specimen Type: holotype Institution: MCZ Museum of Comparative Zoology, Harvard University, Cambridge, MA, USA Collection Location: Cay, French Guiana 15400
|
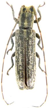
_Dillon_and_Dillon_Cay_French_Guiana_MCZ.jpg)
Specimen Type: holotype Institution: MCZ Museum of Comparative Zoology, Harvard University, Cambridge, MA, USA Collection Location: Cay, French Guiana 15401
|
_Dillon_and_Dillon_Cay_French_Guiana_MCZ.jpg)
Specimen Type: holotype Institution: MCZ Museum of Comparative Zoology, Harvard University, Cambridge, MA, USA Collection Location: Cay, French Guiana 15402
|

Photographer: Jean-Louis Giuglaris Collection Location: Matiti, French Guiana 28611
|
|