
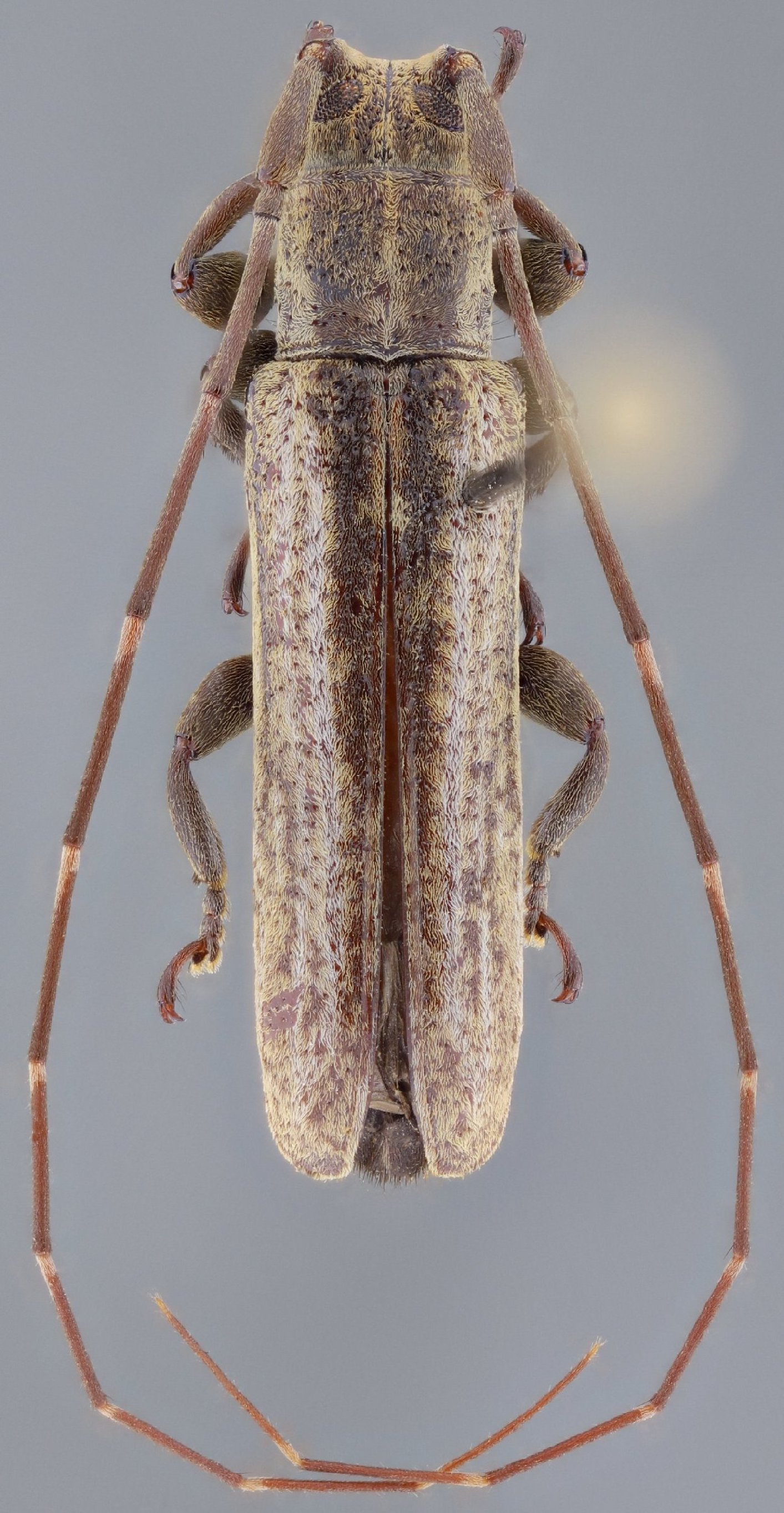
Pachypeza simplex Pascoe Specimen Type: holotype Institution: BMNH British Museum Natural History, London, UK Photographer: Gino Nearns Collection Location: Para, Brazil 30468
|

Pachypeza simplex Pascoe Specimen Type: holotype Sex: m Institution: BMNH British Museum Natural History, London, UK Photographer: J S Moure Collection Location: Para, Brazil 18000
|
_Pascoe_BMNH_Tav_Para_Brazil_=_Cacostola_simplex.jpg)
Pachypeza simplex Pascoe Specimen Type: holotype Institution: BMNH British Museum Natural History, London, UK Photographer: Gerard Tavakilian Collection Location: Para, Brazil 18001
|
 (Pascoe) LGBC 16 km SW Coca, Orellana, Ecuador SS.jpg)
Sex: m Institution: LGBC Larry G. Bezark Collection, Sacramento, California, USA Photographer: Antonio Santos-Silva Collection Location: 16 km SW Coca, Orellana, Ecuador 90661
|
|