
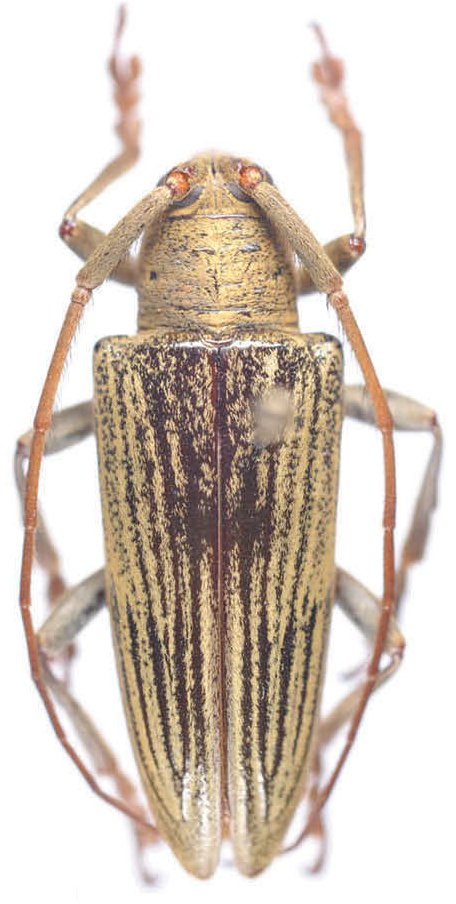
Institution: USNM United States National Museum, Washington, DC, USA Photographer: Steve Lingafelter Determiner: Wappes Collection Location: Brazil, Atlantic forest 28532
|
_Monne_pic.jpg)
Sex: m Institution: MNRJ Museu Nacional Universidade do Rio Janeiro, Brazil Photographer: Monne Collection Location: Altamiro, Represa Rio Grande, Rio de Janeiro, Brazil 65210
|