
Onocephala lineola Dillon & Dillon Institution: USNM United States National Museum, Washington, DC, USA Photographer: Steve Lingafelter Determiner: Wappes Collection Location: Brazil, Atlantic forest 28528
|

Photographer: Marcela Monne Collection Location: Itatiaia National Park, Rio de Janeiro, Brazil 35324
|
_Thomson_Parque_Nacional_de_Itatiaia_RJ_Braz.jpg)
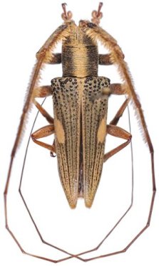
Sex: m Institution: MNRJ Museu Nacional Universidade do Rio Janeiro, Brazil Photographer: Marcela Monne Collection Location: Parque Nacional de Itatiaia, Rio de Janeiro, Brazil 53454
|
_Thomson_Parque_Nacional_de_Itatiaia_RJ_Braz.jpg)
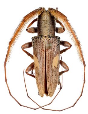
Sex: m Institution: MNRJ Museu Nacional Universidade do Rio Janeiro, Brazil Photographer: Marcela Monne Collection Location: Parque Nacional de Itatiaia, Rio de Janeiro, Brazil 53455
|
|