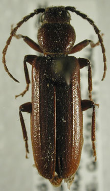
_(f)_Bates_BMNH_JAC.jpg)
Specimen Type: lectotype Sex: f Institution: BMNH British Museum Natural History, London, UK Photographer: John Chemsak 15310
|

Institution: UCB Essig Museum of Entomology, Berkeley, California, USA Photographer: Larry G. Bezark Determiner: John Chemsak 4765
|