New Search Family, Subfamily and Tribe List

SubFamily Lamiinae

Tribe Agapanthiini
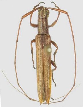
Hippopsis fratercula Galileo & Martins 1988

Specimen Type: paratype
Sex: m
20924


Specimen Type: paratype
Institution: MZSP Museu de Zoologia da Universidade de São Paulo, Brazil
Photographer: Steve Lingafelter
8456

130425