_Breuning_USNM_=_Helvina_strandi.jpg)
Pachypezomorpha strandi Breuning Specimen Type: holotype Institution: NMNH United States National Museum, Washington, DC, USA 26306
|
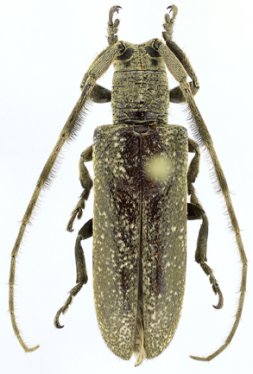
_D_and_AMNH_Satipo_Valley_Junin_Peru_=_strandi.jpg)
Helvina lypera Dillon & Dillon Specimen Type: holotype Sex: m Institution: AMNH American Museum of Natural History, New York, NY, USA Collection Location: Satipo Valley, Junin, Peru 27768
|