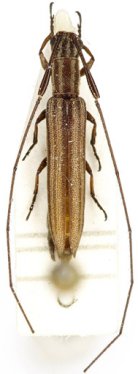
 Bates MNHN Santarem, Para, Brazil now Grammops Moure.jpg)
Hippopsis clavigera Bates Specimen Type: syntype Institution: MNHN Museum of Natural History Paris, France Photographer: JS Moure Collection Location: Santarem, Para, Brazil 95803
|
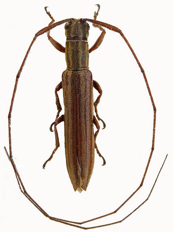
_Bates_MNHN_FTH_=_Grammopsis.jpg)
Hippopsis clavigera Bates Specimen Type: syntype Institution: MNHN Museum of Natural History Paris, France 16831
|