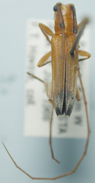
_Thomson_MNHN_FTH.jpg)
Amillarus apicalis Thomson Specimen Type: holotype Sex: m Institution: MNHN Museum of Natural History Paris, France Collection Location: New Grenada, Colombia 15120
|
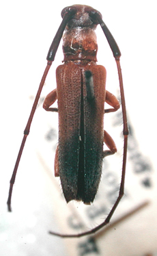
_Thomson_MNHN_New Grenada_GN.jpg)
Amillarus apicalis Thomson Specimen Type: holotype Sex: m Institution: MNHN Museum of Natural History Paris, France Photographer: Gino Nearns Collection Location: New Grenada, Colombia 56511
|
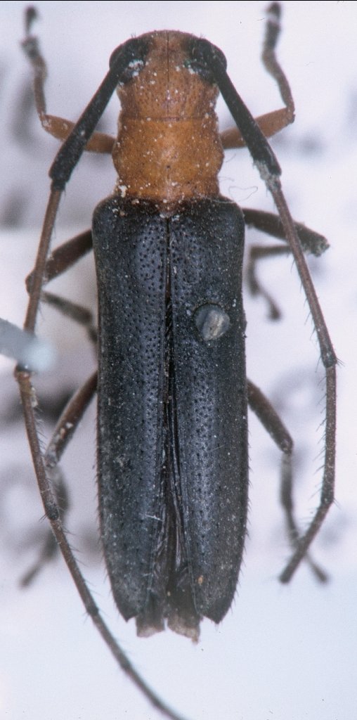
_BMNH_Cartagena_Colombia_now_amillarus_apic_GN.jpg)
Specimen Type: lectotype Sex: f Institution: BMNH British Museum Natural History, London, UK Photographer: Gino Nearns Collection Location: Cartagena, Colombia 56514
|
_BMNH_Cartagena_Colombia_now_amillarus_apic_GN.jpg)
Specimen Type: paralectotype Sex: f Institution: BMNH British Museum Natural History, London, UK Photographer: Gino Nearns Collection Location: Cartagena, Colombia 56512
|
_Chevrolat_BMNH_JAC_=_Amillarus_apicalis_Thomson.jpg)
Specimen Type: paralectotype Sex: f Institution: BMNH British Museum Natural History, London, UK Photographer: John Chemsak Collection Location: Cartagena, Colombia 15282
|
 Bates MNHN Santarem, Para, Brazil now erythroder Moure.jpg)
Amillarus mutabilis Bates Specimen Type: syntype Institution: MNHN Museum of Natural History Paris, France Photographer: JS Moure Collection Location: Santarem, Para, Brazil 91508
|
_Bates_BMNH_now_Amillarus_apic_GN.jpg)
Amillarus mutabilis Bates Specimen Type: syntype Institution: BMNH British Museum Natural History, London, UK Photographer: Gino Nearns Collection Location: Santarem, Para, Brazil 56513
|

Institution: BMNH British Museum Natural History, London, UK Photographer: Gino Nearns Collection Location: Cartagena, Colombia 56515
|

Institution: BCA Biologia Centrali Americana 4192
|
_Thomson_BMNH_JAC.jpg)
Institution: BMNH British Museum Natural History, London, UK Photographer: John Chemsak 15121
|

Institution: UCD University of California, Davis, California, USA Photographer: Larry G. Bezark Determiner: John Chemsak Collection Location: Quibor, Venezuela 4193
|

Photographer: Larry G. Bezark 4194
|

Photographer: Larry G. Bezark Collection Location: Quibor, Venezuela 4195
|