_MNHN_Brazil_Moure.jpg)
Specimen Type: holotype Sex: f Institution: MNHN Museum of Natural History Paris, France Photographer: J S Moure Collection Location: Brazil 69207
|
_G_M_MZSP_Olho_d-agua_doCasado_Alagoas_Braz_now_Typophaula_SS.jpg)
Adetus tuberosus G & M Specimen Type: holotype Sex: m Institution: MZSP Museu de Zoologia da Universidade de São Paulo, Brazil Photographer: Antonio Santos-Silva Collection Location: Olho d'Água do Casado (Fazenda Capelinha), Alagoas, Brazil 69176
|
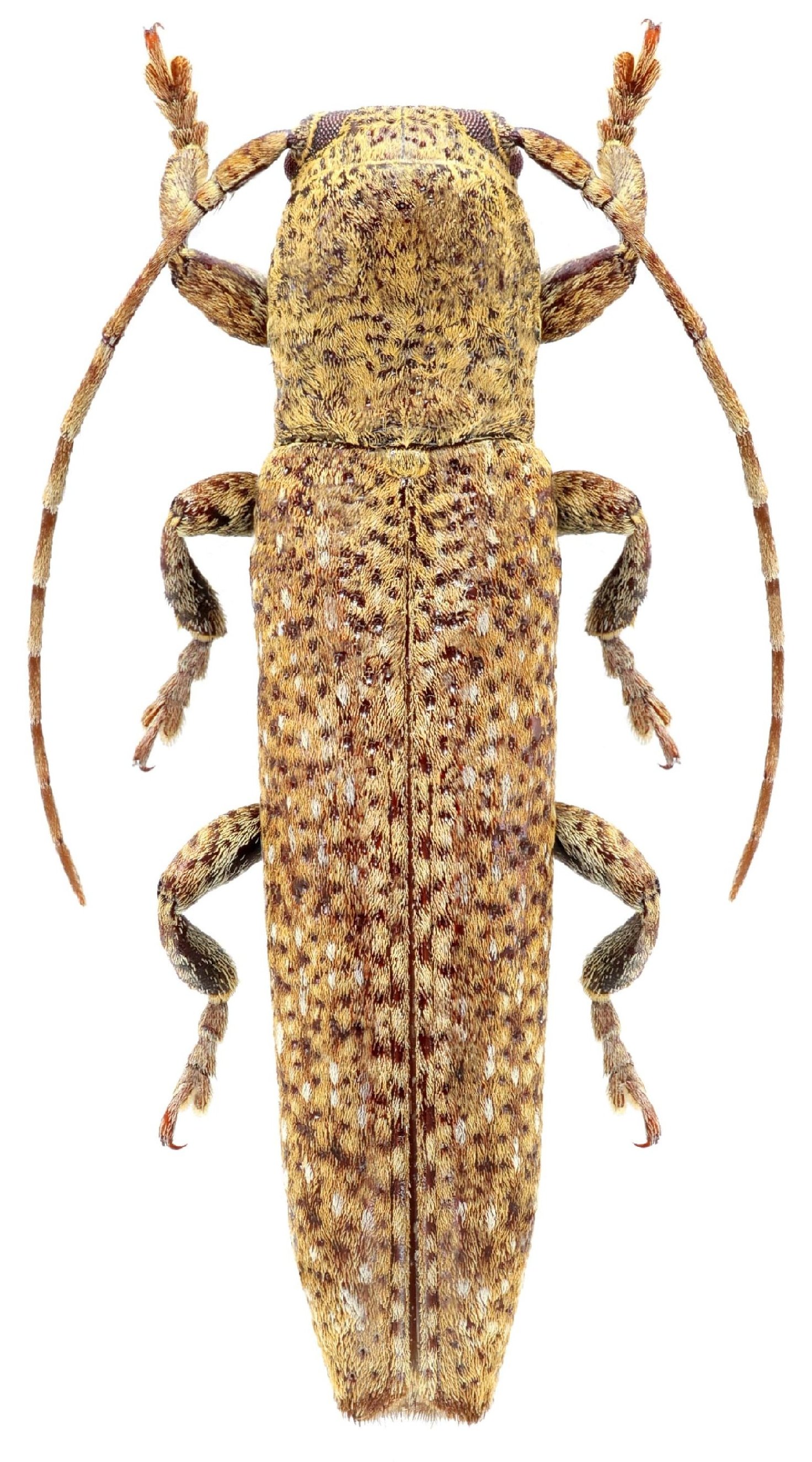
_G_M_MZSP_Olho_d-agua_doCasado_Alagoas_Braz_now_Typophaula_SS.jpg)
Adetus tuberosus G & M Specimen Type: holotype Sex: m Institution: MZSP Museu de Zoologia da Universidade de São Paulo, Brazil Photographer: Antonio Santos-Silva Collection Location: Olho d'Água do Casado (Fazenda Capelinha), Alagoas, Brazil 69177
|
_G_M_MZSP_Olho_d-agua_doCasado_Alagoas_Braz_now_Typophaula_SS.jpg)
Adetus tuberosus G & M Specimen Type: holotype Sex: m Institution: MZSP Museu de Zoologia da Universidade de São Paulo, Brazil Photographer: Antonio Santos-Silva Collection Location: Olho d'Água do Casado (Fazenda Capelinha), Alagoas, Brazil 69178
|
_G_M_MZSP_Olho_d-agua_doCasado_Alagoas_Braz_now_Typophaula_SS.jpg)
Adetus tuberosus G & M Specimen Type: holotype Sex: m Institution: MZSP Museu de Zoologia da Universidade de São Paulo, Brazil Photographer: Antonio Santos-Silva Collection Location: Olho d'Água do Casado (Fazenda Capelinha), Alagoas, Brazil 69179
|

Adetus tuberosus Galileo & Martins Specimen Type: holotype Sex: m Institution: MZSP Museu de Zoologia da Universidade de São Paulo, Brazil Photographer: Steve Lingafelter Collection Location: Olho d'Água do Casado (Fazenda Capelinha), Alagoas, Brazil 3936
|

Photographer: Odette Morvan Collection Location: French Guiana 40275
|
 Thomson Saul, French Guiana Robin.jpg)
Sex: m Photographer: Frédéric Robin Collection Location: Saul, French Guiana 29426
|