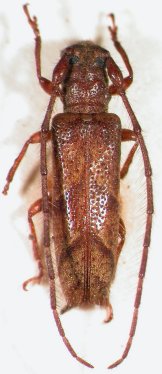
_G_and_M_IZFAM_Colonia_Tovar_Carretera_Costa_Maya_Arag_VZ.jpg)
Specimen Type: holotype Sex: f Institution: IZAFM Instituto de Zoología Agrícola, Faculdad de Agronomía de Maracay, Venezuela Photographer: Larry G. Bezark Collection Location: Colonia Tovar, Carretera Costa Maya, Aragua, Venezuela 33903
|
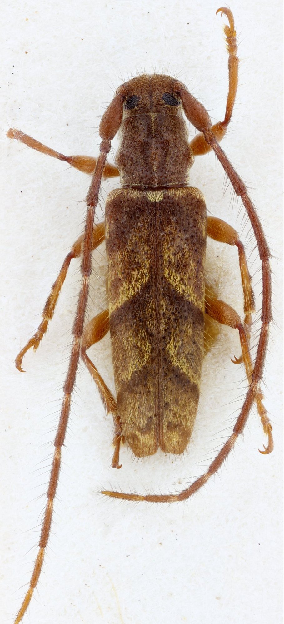
_(f)_Galileo_and_Martins.jpg)
Specimen Type: holotype Sex: f Institution: IZAFM Instituto de Zoología Agrícola, Faculdad de Agronomía de Maracay, Venezuela Collection Location: Colonia Tovar, Carretera Costa Maya, Aragua, Venezuela 13982
|