_Wiedemann_MNHN_Java.jpg)
Lamia alternans Wiedemann Specimen Type: neotype Sex: m Institution: MNHN Museum of Natural History Paris, France Determiner: Vernate Collection Location: Preanger, Java, Indonesia 62704
|
 Pic MNHN Hoa Binh, Tonkin, Vietnam now Sybra alternans GC.jpg)
Atelais multilineata Pic Specimen Type: holotype © MNHN Sex: f Institution: MNHN Museum of Natural History Paris, France Photographer: Gerard Chemin, Cerambycoidea Forum Collection Location: Hoa Binh, Tonkin, Vietnam 101240
|
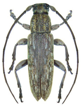
_Penang_Thailand_U_Schmidt_photo.jpg)
Sybra fuscobiplagiata Breuning Sex: f Photographer: Udo Schmidt Collection Location: Penang, Thailand 62759
|
_FSCA.jpg)
Institution: FSCA Florida State Collection of Arthropods, Gainesville, FL, USA Photographer: Mike Thomas 3011
|

Photographer: Udo Schmidt Collection Location: Utara, Sulawesi 62703
|
|