_Breuning_MNHN_Jatai_GO_Braz_now_Rosalba_JSMoure.jpg)
Specimen Type: holotype Sex: f Institution: MNHN Museum of Natural History Paris, France Photographer: J S Moure Collection Location: Jatai, Goias, Brazil 64332
|
_MZSP_Perolandia_Goias_det_Mtns.jpg)
Institution: MZSP Museu de Zoologia da Universidade de São Paulo, Brazil Photographer: Larry G. Bezark Determiner: Martins Collection Location: Perolandia, Goias, Brazil 33819
|
_MNRJ_Ouro_Preto_Rondonia_det_Martins.jpg)
Institution: MNRJ Museu Nacional Universidade do Rio Janeiro, Brazil Photographer: Larry G. Bezark Determiner: Martins Collection Location: Ouro Preto do Oeste, Rondonia, Brazil 33818
|
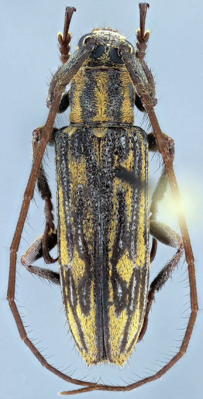
_(Br)_Perolandia_GO_Braz_SS.jpg)
Sex: f Institution: MZSP Museu de Zoologia da Universidade de São Paulo, Brazil Photographer: Antonio Santos-Silva Collection Location: Perolandia, Goias, Brazil 64338
|
_(Br)_Perolandia_GO_Braz_SS.jpg)
Sex: f Institution: MZSP Museu de Zoologia da Universidade de São Paulo, Brazil Photographer: Antonio Santos-Silva Collection Location: Perolandia, Goias, Brazil 64339
|
_(Br)_Perolandia_GO_Braz_SS.jpg)
Sex: f Institution: MZSP Museu de Zoologia da Universidade de São Paulo, Brazil Photographer: Antonio Santos-Silva Collection Location: Perolandia, Goias, Brazil 64340
|
_(Br)_Perolandia_GO_Braz_SS.jpg)
Sex: f Institution: MZSP Museu de Zoologia da Universidade de São Paulo, Brazil Photographer: Antonio Santos-Silva Collection Location: Perolandia, Goias, Brazil 64341
|
|