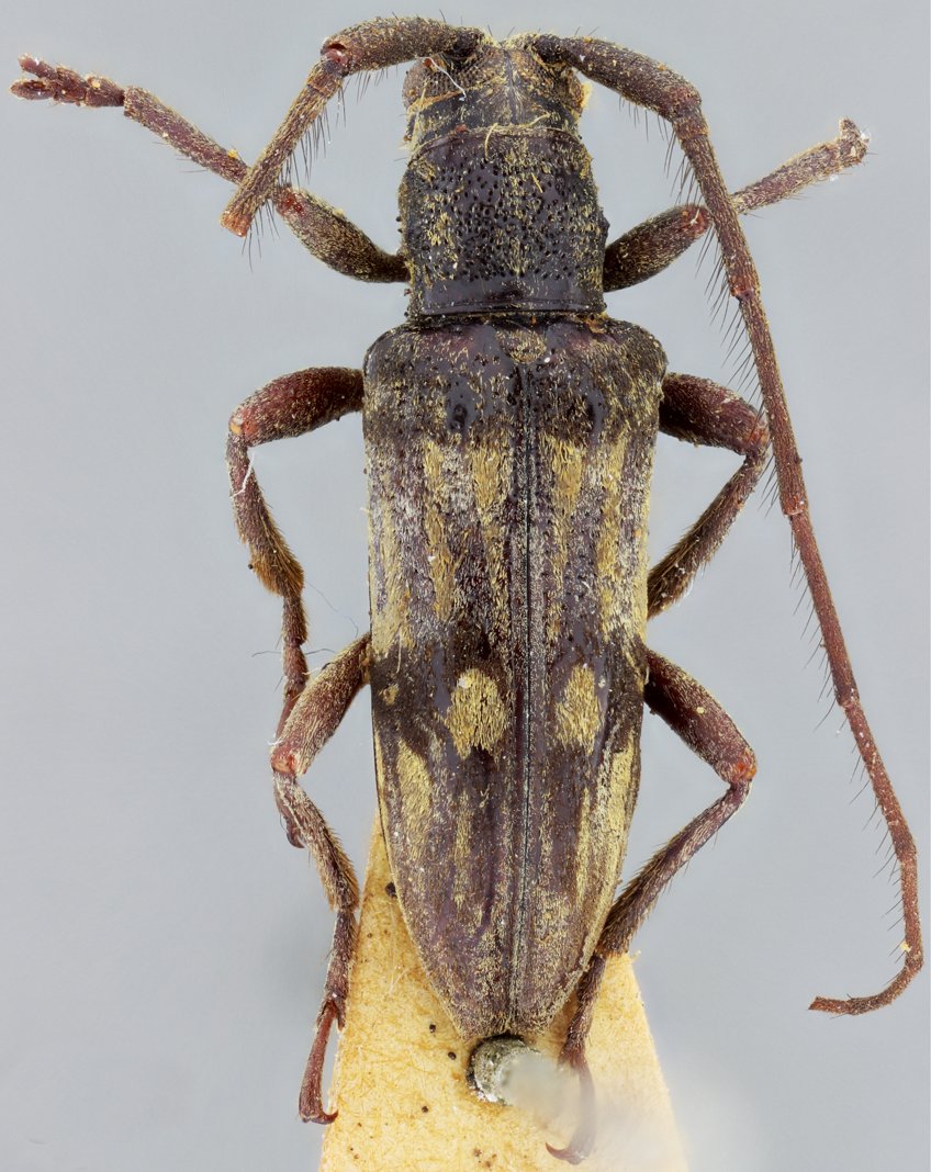
 Bates MNHN Brazil now Rosalba Moure.jpg)
Aletretia inscripta Bates Specimen Type: syntype Institution: MNHN Museum of Natural History Paris, France Photographer: JS Moure Collection Location: Brazil 15111
|
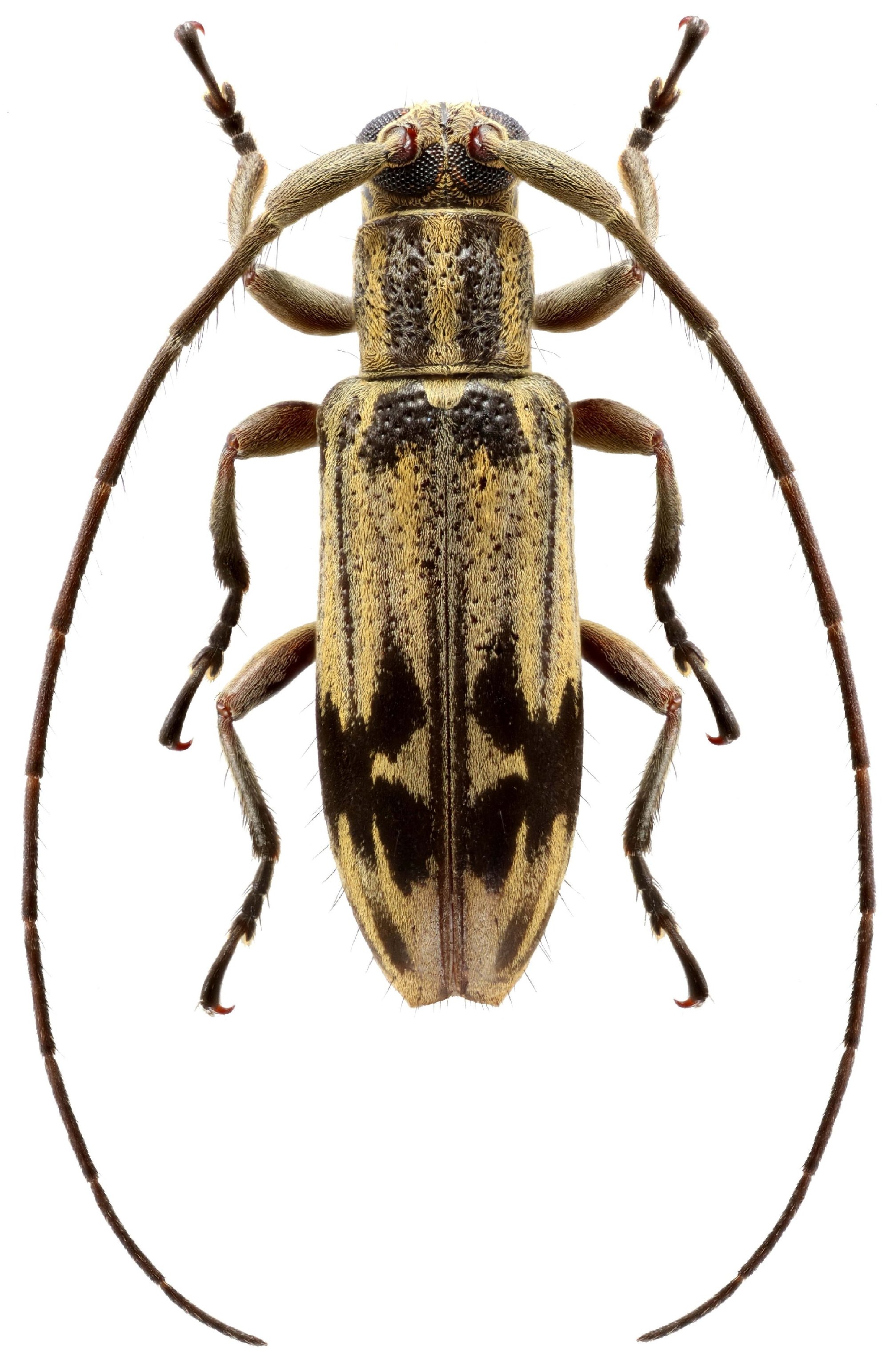
_Gal_Mart_MZSP_Fonteboa_AM_Brazil_SS.jpg)
Rosalba gounellei Galileo & Martins Specimen Type: holotype Sex: m Institution: MZSP Museu de Zoologia da Universidade de São Paulo, Brazil Photographer: Antonio Santos-Silva Collection Location: Fonteboa, Amazonas, Brazil 44802
|
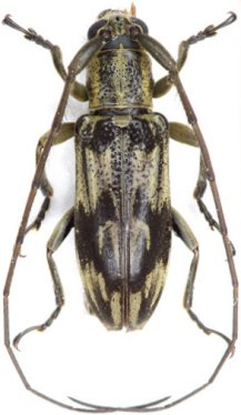
_Gal_Mart_MZSP_Rio_Cabixi_Guajara_Mirim_RO_Braz_SS.jpg)
Rosalba vanini Galileo & Martins Specimen Type: holotype Sex: m Institution: MZSP Museu de Zoologia da Universidade de São Paulo, Brazil Photographer: Antonio Santos-Silva Collection Location: Rio Cabixi, Guajara Mirim, Rondonia, Brazil 44808
|
_Thomson_MNHN_Colombia_JSMoure.jpg)
Rosalba acanthocinoides Thomson Specimen Type: holotype Institution: MNHN Museum of Natural History Paris, France Photographer: J S Moure Collection Location: Colombia 64333
|
_Melzer_MZSP_Sao_Paolo_SP_Braz_now_Rosalba_SS.jpg)
Aletretia consobrina Melzer Specimen Type: holotype Institution: MZSP Museu de Zoologia da Universidade de São Paulo, Brazil Photographer: Antonio Santos-Silva Collection Location: Sao Paolo, Sao Paolo, Brazil 4118
|
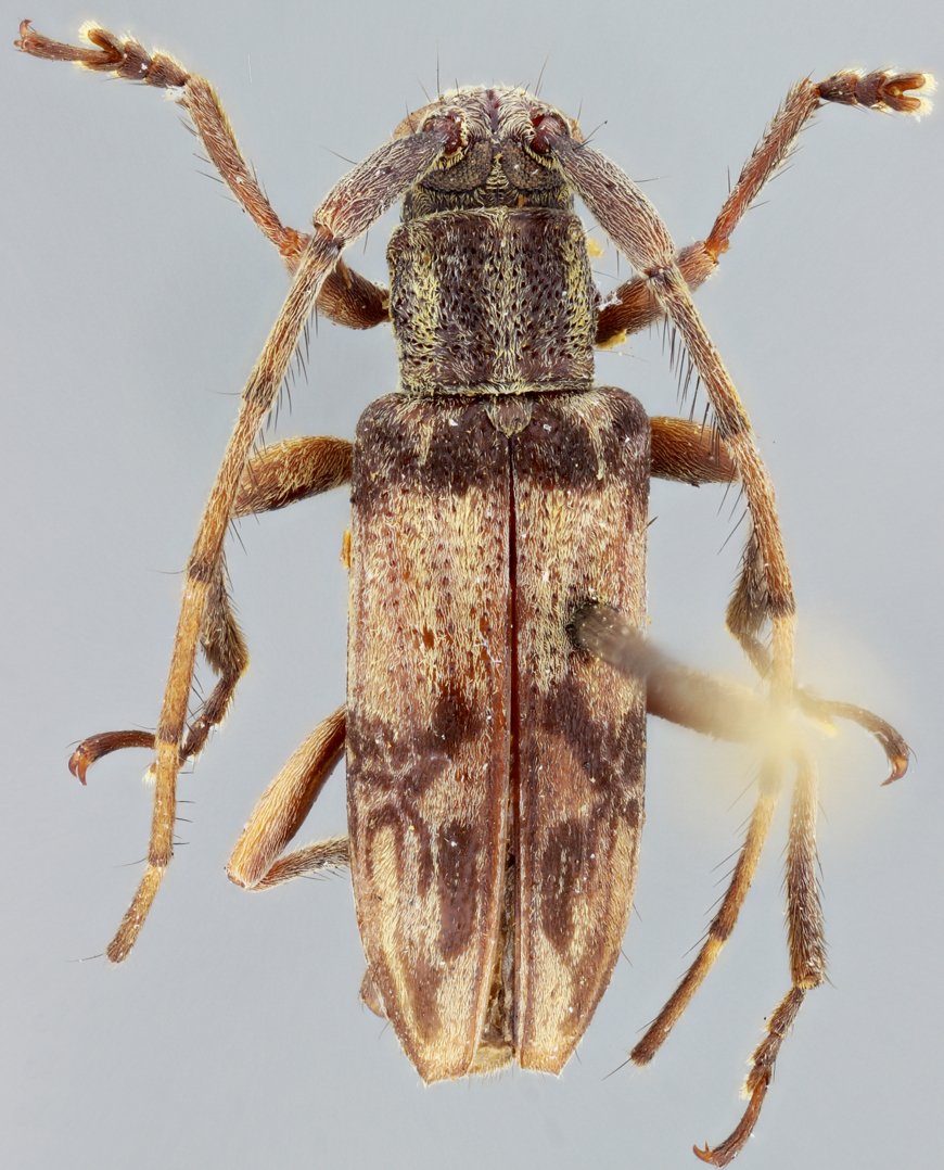
_Fr_Guiana_Faure.jpg)
Photographer: Denis Faure Collection Location: French Guiana 29324
|
_Bolivia_Wappes_Photo.jpg)
Photographer: Jim Wappes Collection Location: Bolivia 13077
|
_Det_Martins_MZSP_SWL_Bolivia.jpg)
Institution: MZSP Museu de Zoologia da Universidade de São Paulo, Brazil Photographer: Steve Lingafelter Determiner: Martins Collection Location: Bolivia 13078
|
 Stoupan, Matoury, French Guiana Robin.jpg)
Photographer: Frédéric Robin Collection Location: Stoupan, Matoury, French Guiana 42526
|