_Belon_MNHN_Cochabamba_Bolivia_now_Rosalba_JSMoure.jpg)
Aletretia fimbriata Belon Specimen Type: syntype Institution: MNHN Museum of Natural History Paris, France Photographer: J S Moure Collection Location: Cochabamba, Bolivia 64318
|
_Belon_MNHN_Cochabamba_Bolivia_now_Rosalba_JSMoure.jpg)
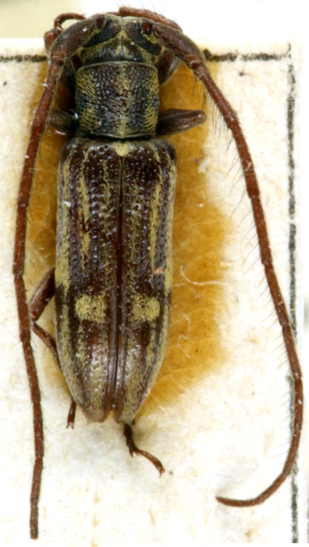
Aletretia dissimilis Belon Specimen Type: syntype Institution: MNHN Museum of Natural History Paris, France Photographer: J S Moure Collection Location: Cochabamba, Bolivia 64319
|
 Rio Venado, Satipo, Junin, Peru JCPC LGB.jpg)
Institution: JCPC Jim Cope Collection, San Jose, California, USA now at CSCA, Sacramento Photographer: Larry G. Bezark Determiner: Jim Cope Collection Location: Rio Venado, Satipo, Junin, Peru 97887
|
|