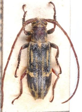
_Melzer_MZSP_Sao_Leopoldo_RS_Brazil_SS.jpg)
Aletretia approximata Melzer Specimen Type: holotype Institution: MZSP Museu de Zoologia da Universidade de São Paulo, Brazil Photographer: Antonio Santos-Silva Collection Location: Sao Leopoldo, Rio Grande do Sul, Brazil 64316
|
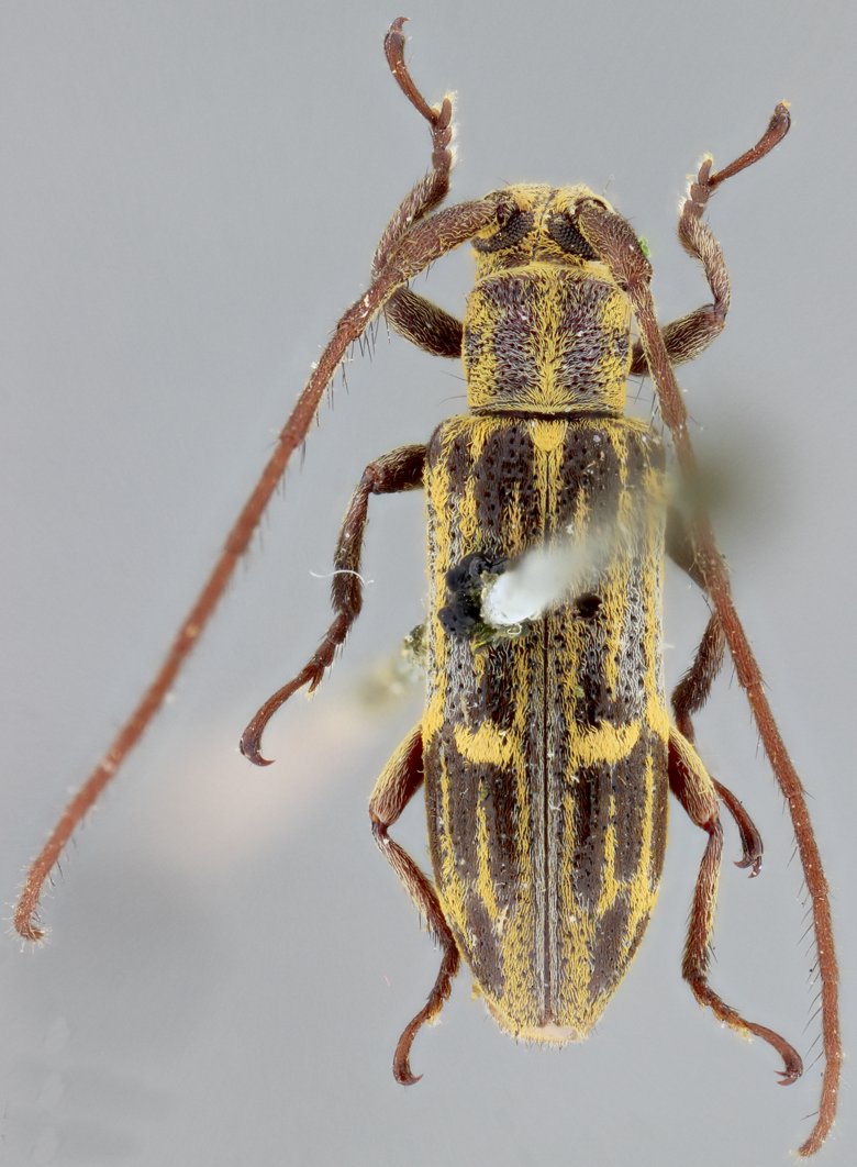
_Melzer_MZSP_SWL_=_Rosalba.jpg)
Aletretia approximata Melzer Specimen Type: paratype Institution: MZSP Museu de Zoologia da Universidade de São Paulo, Brazil Photographer: Steve Lingafelter Collection Location: Sao Leopoldo, Rio Grande do Sul, Brazil 4116
|
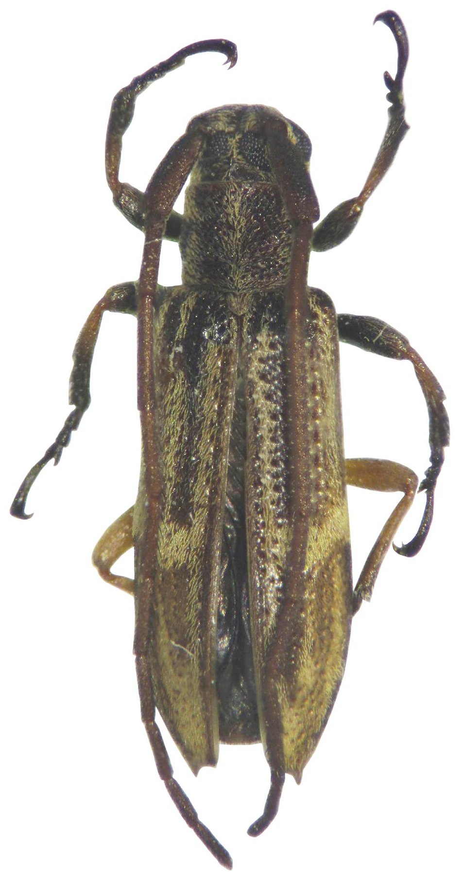
_Breuning_NHRS_Rio_RJ_Braz_now_Rosalba.jpg)
Aletretia peraffinis Breuning Specimen Type: holotype Institution: NHRS Naturhistoriska Riksmuseet, Stockholm, Sweden Photographer: J S Moure Collection Location: Rio de Janeiro, Rio de Janeiro, Brazil 64322
|
 San Carlos, Chaco, Argentina Nestor Valle pic.jpg)
Institution: Universidad Nacional del
Nordeste, Argentina Photographer: Nestor Valle Collection Location: San Carlos, Chaco, Argentina 81180
|

Photographer: Marcela Monne Collection Location: Itatiaia National Park, Rio de Janeiro, Brazil 35401
|
_MZSP_Represa_Rio_Grande_Guanabara_det_Mtns.jpg)
Rosalba peraffinis Breuning Institution: MZSP Museu de Zoologia da Universidade de São Paulo, Brazil Photographer: Larry G. Bezark Determiner: Martins Collection Location: Represa Rio Grande, Guanabara, Rio de Janeiro, Brazil 33812
|
_MZSP_Represa_Rio_Grande_Guanabara_det_Mtns.jpg)
Rosalba peraffinis Breuning Institution: MZSP Museu de Zoologia da Universidade de São Paulo, Brazil Photographer: Larry G. Bezark Determiner: Martins Collection Location: Represa Rio Grande, Guanabara, Rio de Janeiro, Brazil 33813
|
|