 Fabr ZMUC Amer Merid now Ptericopt Moure.jpg)
Saperda clavicornis Fabricius Specimen Type: holotype Sex: f Institution: ZMUC University of Copenhagen, Zoological Museum, København, Denmark Photographer: JS Moure Collection Location: America Meridionale 80701
|
 Thomson MNHN interior French Guiana now clavicorn Moure.jpg)
Ptericoptus cruentatus Thomson Specimen Type: holotype Sex: f Institution: MNHN Museum of Natural History Paris, France Photographer: JS Moure Collection Location: interior French Guiana 80700
|

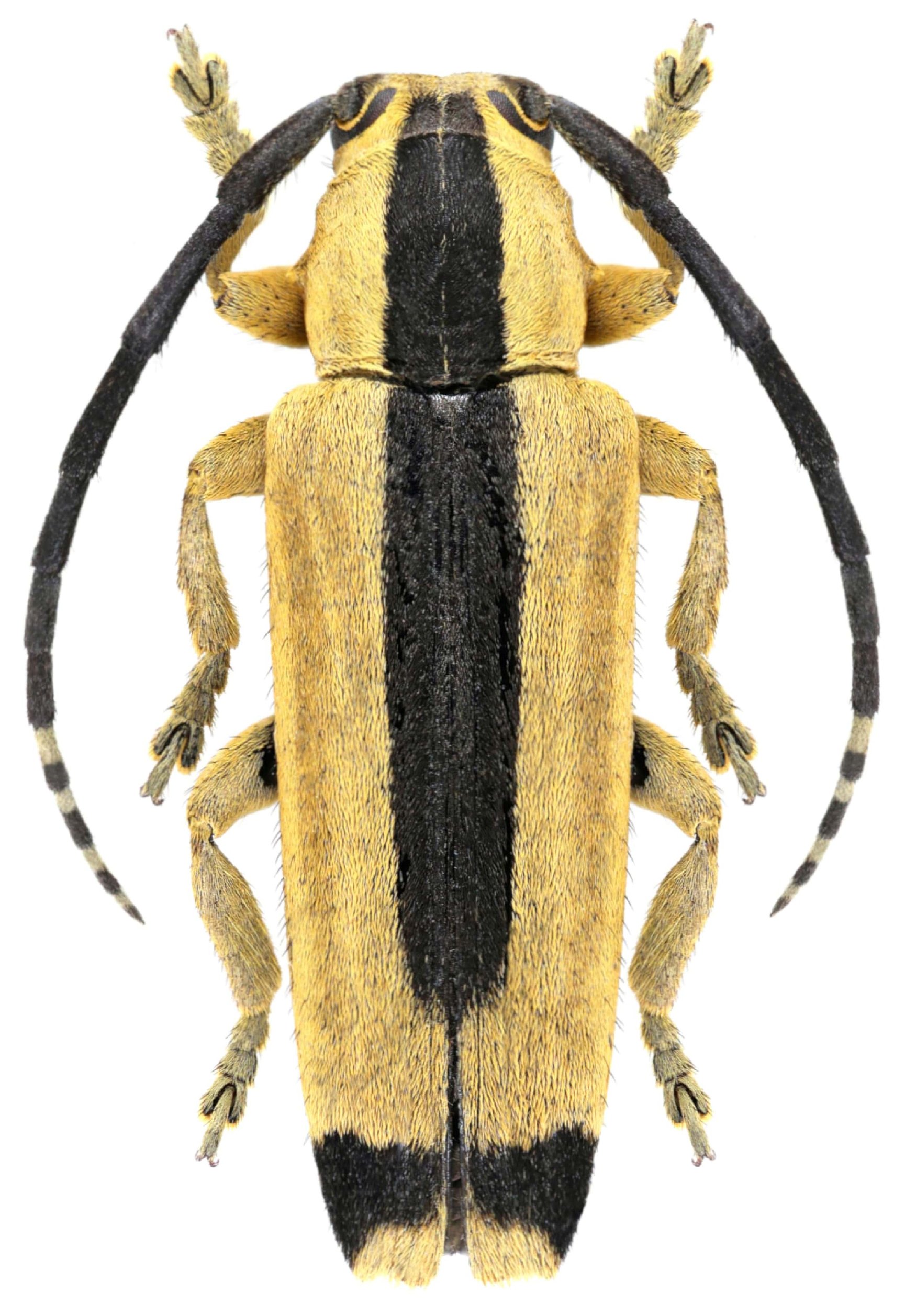
Ptericoptus cruentatus Thomson Institution: BMNH British Museum Natural History, London, UK Photographer: Larry G. Bezark 47263
|

Ptericoptus cruentatus Thomson Institution: BMNH British Museum Natural History, London, UK Photographer: Larry G. Bezark 47264
|

Photographer: Odette Morvan Collection Location: French Guiana 40193
|
 Saul, French Guiana, Robin.jpg)
Photographer: Frédéric Robin Collection Location: Saul, French Guiana 80558
|