_Bates_BMNH_El_Zapote_Escuintla_Guat_LGB.jpg)
Specimen Type: holotype Sex: m Institution: BMNH British Museum Natural History, London, UK Photographer: Larry G. Bezark Collection Location: El Zapote, Escuintla, Guatemala 47262
|
_Bates_BMNH_El_Zapote_Escuintla_Guat_LGB.jpg)
Specimen Type: holotype Institution: BMNH British Museum Natural History, London, UK Photographer: Larry G. Bezark Collection Location: El Zapote, Escuintla, Guatemala 18361
|
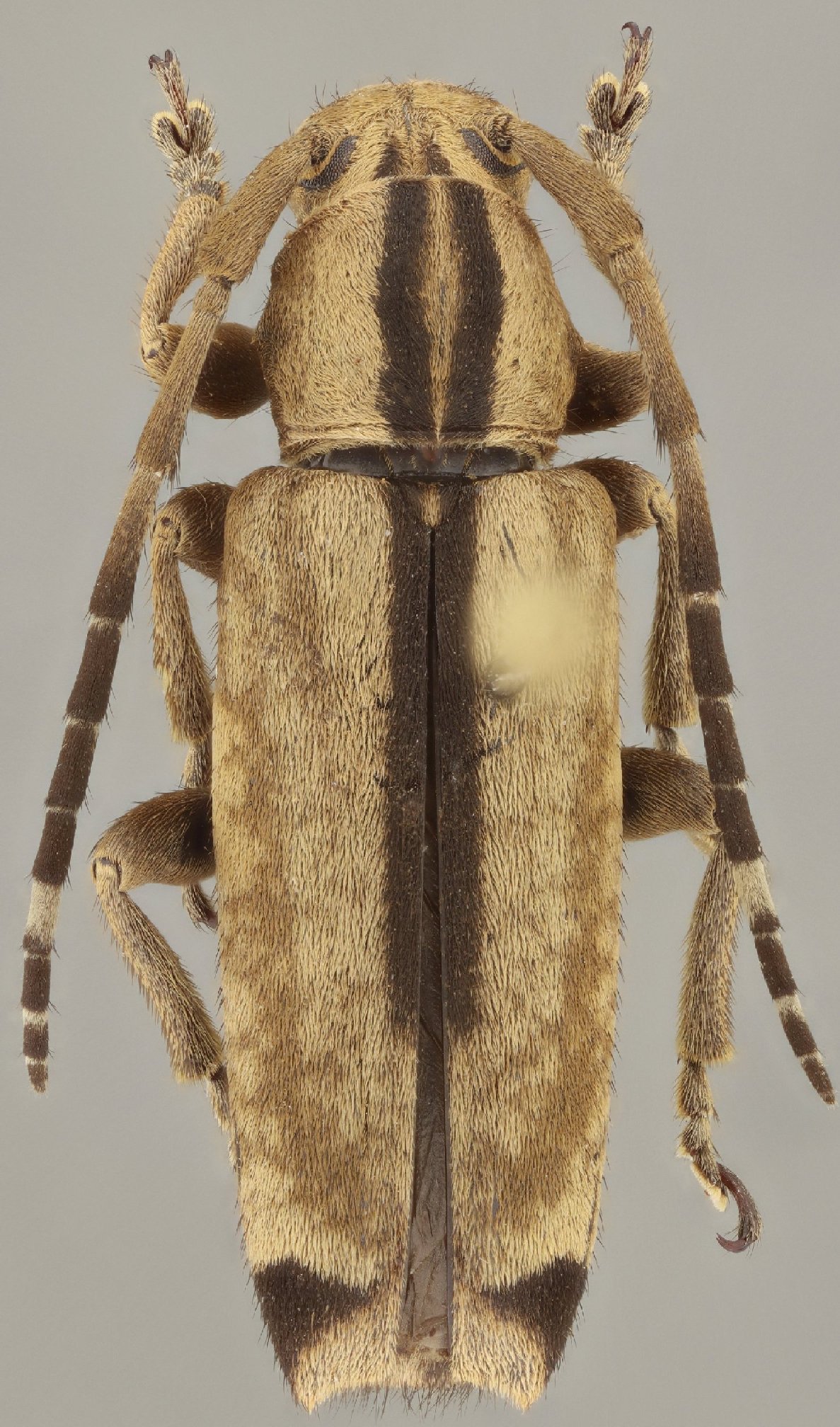
 Bates BMNH El Zapote, Escuintla, Guatemala Moure.jpg)
Specimen Type: holotype Sex: m Institution: BMNH British Museum Natural History, London, UK Photographer: JS Moure Collection Location: El Zapote, Escuintla, Guatemala 80699
|
_Bates_Heff_coll_El_Venado_Nayarit_Mexico_SS.jpg)
Sex: f Institution: DHCO Dan Heffern Collection, Texas, USA Photographer: Antonio Santos-Silva Collection Location: El Venado, Nayarit, Mexico 69745
|

Institution: CAS California Academy of Sciences, San Francisco, CA, USA Photographer: Larry G. Bezark 12816
|

Institution: UCB Essig Museum of Entomology, Berkeley, California, USA Photographer: Larry G. Bezark Collection Location: DF, Mexico 12817
|
|