_Gilmour_CNC_Santa_Margarita_Hill_Trinidad_Tobago_Dolichosybra_Laplante.jpg)
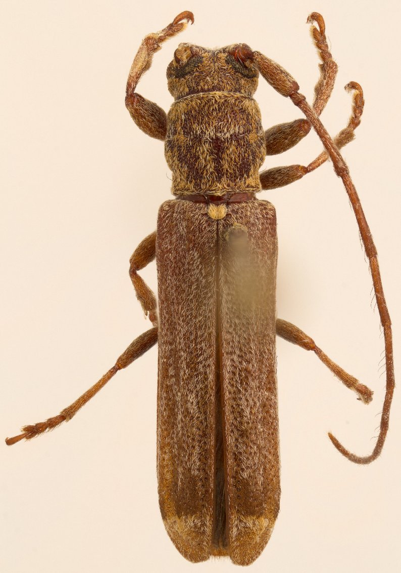
Cacostola apicalis Gilmour Specimen Type: holotype Sex: m Institution: CNC Canadian National Collection of Insects, Ottawa, Ontario, Canada Photographer: Serge Laplante, photograph and data Determiner: Copyright of
Agriculture & Agri Food Canada Collection Location: Santa Margarita Hill, Trinidad, Trinidad &Tobago 62915
|
_Gilmour_CNC_Santa_Margarita_Hill_Trinidad_Tobago_Dolichosybra_Laplante.jpg)
Cacostola apicalis Gilmour Specimen Type: holotype Sex: m Institution: CNC Canadian National Collection of Insects, Ottawa, Ontario, Canada Photographer: Serge Laplante, photograph and data Determiner: Copyright of
Agriculture & Agri Food Canada Collection Location: Santa Margarita Hill, Trinidad, Trinidad &Tobago 62916
|
_Gilmour_CNC_Santa_Margarita_Hill_Trinidad_Tobago_Dolichosybra_Laplante.jpg)
Cacostola apicalis Gilmour Specimen Type: holotype Sex: m Institution: CNC Canadian National Collection of Insects, Ottawa, Ontario, Canada Photographer: Serge Laplante, photograph and data Determiner: Copyright of
Agriculture & Agri Food Canada Collection Location: Santa Margarita Hill, Trinidad, Trinidad &Tobago 62917
|
|